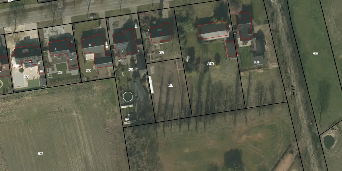
Perceel: NDW00-R-723

Adres bij perceel

Geen adressen bij dit perceel

Perceeloppervlakte & perceelomtrek

720 m2 - 113 m

Eigenaar van het perceel

Eigenaar opvragen

Kadastrale aanduiding

NDW00-R-723 (Nederweert)

Postcode in perceel

    Geen postcode aanwezig

Type eigenaar

uo EV uw1 S73XMEObq7nkUpgrade naar KadastraleKaart Pro

Google Street View

Bekijk op Street View

Download

Download DWG/DXF/Excel

Gerelateerde percelen

qB T I03m8Upgrade naar KadastraleKaart Pro

Bebouwd/onbebouwd/water/groen

9 9Xm7FdCqZ Upgrade naar KadastraleKaart Pro
Administratieve eenheden
d4iimSn9pUpgrade naar KadastraleKaart Pro

Appartementsrechten

cL4aYyA1SDUpgrade naar KadastraleKaart Pro

Vergunningverlenende instanties

P0 FVAV5XUpgrade naar KadastraleKaart Pro

Bedekking (BGT)

dyIukVEycYkyF28bmFVZbVCUpgrade naar KadastraleKaart Pro

Publiekrechtelijke beperkingen

Fmo sd1w7IkDtUpgrade naar KadastraleKaart Pro

Grensnauwkeurigheid

U4vGhWMv8dcl9L3dPosZ qWUpgrade naar KadastraleKaart Pro

Coördinaten hoekpunten perceel

z0AzYm738pUpgrade naar KadastraleKaart Pro

Hoogteligging

2NOSWEGWBpfONdyXUpgrade naar KadastraleKaart Pro

Laatst gewijzigd

11/08/2006

Kadastrale kaart met maatvoering 59,95
Kadastrale kaart pakket 28,95

Percelen

Gebruik de zoekbalk of klik op een perceel om informatie over het perceel te bekijken.
Locatie
Meten
Lagen
Download