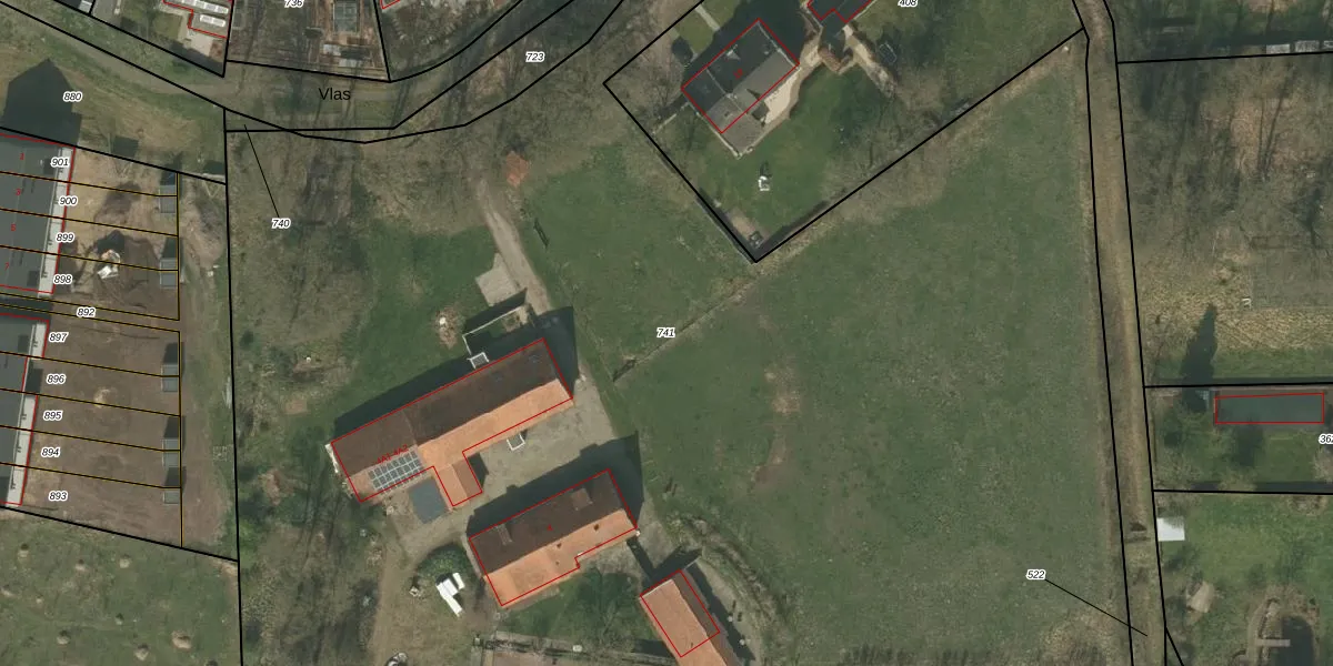
Perceel: NDW00-S-741
KadastraleKaart.com kan meer dan je denktOntdek meer ›
Filter op bestemming 50+ datasets Eigendomsdata in één klik Percelen CRM
20.787 m2 - 937 m
Eigenaar opvragen
NDW00-S-741 (Nederweert)
- 6091 NN
B8 KLbWKRQLIWTRGYnblUpgrade naar KadastraleKaart Pro
Verkoopprijs opvragen
Bekijk op Street View
Download DWG/DXF/Excel
Zde0OkaESHI B1EDQMUpgrade naar KadastraleKaart Pro
RK6g80ncfRC WrUpgrade naar KadastraleKaart Pro
tZpZ0sek qfjk3I9ahPniIUpgrade naar KadastraleKaart Pro
qcb43 c2Upgrade naar KadastraleKaart Pro
XvO9 q86mK 9ZhqaUpgrade naar KadastraleKaart Pro
Ds5tG19H Ii 90TSUpgrade naar KadastraleKaart Pro
DcpbdZZvdUpgrade naar KadastraleKaart Pro
9Xi Ye EmAuUUpgrade naar KadastraleKaart Pro
igJRr 2dYahmCJqdUpgrade naar KadastraleKaart Pro
Jgww2i SVCAt Upgrade naar KadastraleKaart Pro
28/10/2022

Percelen
Gebruik de zoekbalk of klik op een perceel om informatie over het perceel te bekijken.