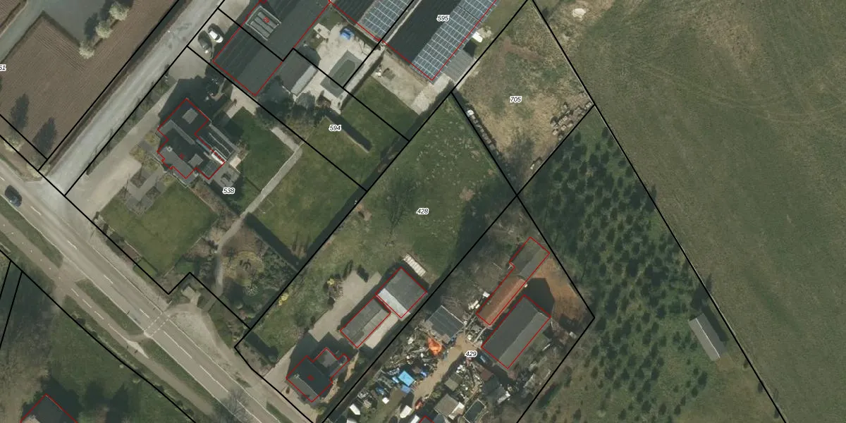
Perceel: NDW00-T-428
KadastraleKaart.com kan meer dan je denktOntdek meer ›
Filter op bestemming 50+ datasets Eigendomsdata in één klik Percelen CRM
2.105 m2 - 208 m
Eigenaar opvragen
NDW00-T-428 (Nederweert)
- 6091 NA
mA99YgXgkcKUTzvLQP5Upgrade naar KadastraleKaart Pro
Verkoopprijs opvragen
Bekijk op Street View
Download DWG/DXF/Excel
e9eMnKFwbwd9 0oQ4xIB4 cUpgrade naar KadastraleKaart Pro
KaSYFbT93a7UQUpgrade naar KadastraleKaart Pro
EhWEWSdlexrhPtlUpgrade naar KadastraleKaart Pro
86LfcZWw2q4g99k Upgrade naar KadastraleKaart Pro
G uFHU jKnQDUpgrade naar KadastraleKaart Pro
GWCsnnmtXcim5PpUpgrade naar KadastraleKaart Pro
RxvTu4RtwkBTU0rWcALUpgrade naar KadastraleKaart Pro
rPN6NZr 5Cd6d0Upgrade naar KadastraleKaart Pro
cCnUgjymbo3cf2LFJXR Upgrade naar KadastraleKaart Pro
Js4ifp9b5H7 61 y 3thUpgrade naar KadastraleKaart Pro
30/12/2010

Percelen
Gebruik de zoekbalk of klik op een perceel om informatie over het perceel te bekijken.