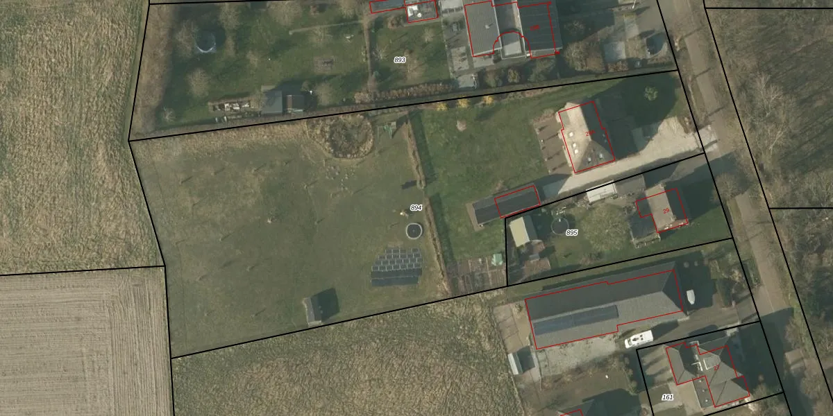
Perceel: NDW00-Y-894
KadastraleKaart.com kan meer dan je denktOntdek meer ›
Filter op bestemming 50+ datasets Eigendomsdata in één klik Percelen CRM
5.375 m2 - 357 m
Eigenaar opvragen
NDW00-Y-894 (Nederweert)
- 6031 NS
d zTpBPfBEy3RZR JsCr8x aKUpgrade naar KadastraleKaart Pro
Bekijk op Street View
Download DWG/DXF/Excel
kzsfPa82MfUpgrade naar KadastraleKaart Pro
FntMJvmRzQyUpgrade naar KadastraleKaart Pro
6BirP4fyCVy Upgrade naar KadastraleKaart Pro
OWU9fRuwUpgrade naar KadastraleKaart Pro
NCR5c lthUpgrade naar KadastraleKaart Pro
524f1h3740 ypHIYHDkxUpgrade naar KadastraleKaart Pro
YG4iwz l LUpgrade naar KadastraleKaart Pro
OZ Z7Jw RNsvwv9wHLjUpgrade naar KadastraleKaart Pro
7VayXsJD1yWZznkUpgrade naar KadastraleKaart Pro
0wl gHs6Upgrade naar KadastraleKaart Pro
22/06/2009

Percelen
Gebruik de zoekbalk of klik op een perceel om informatie over het perceel te bekijken.