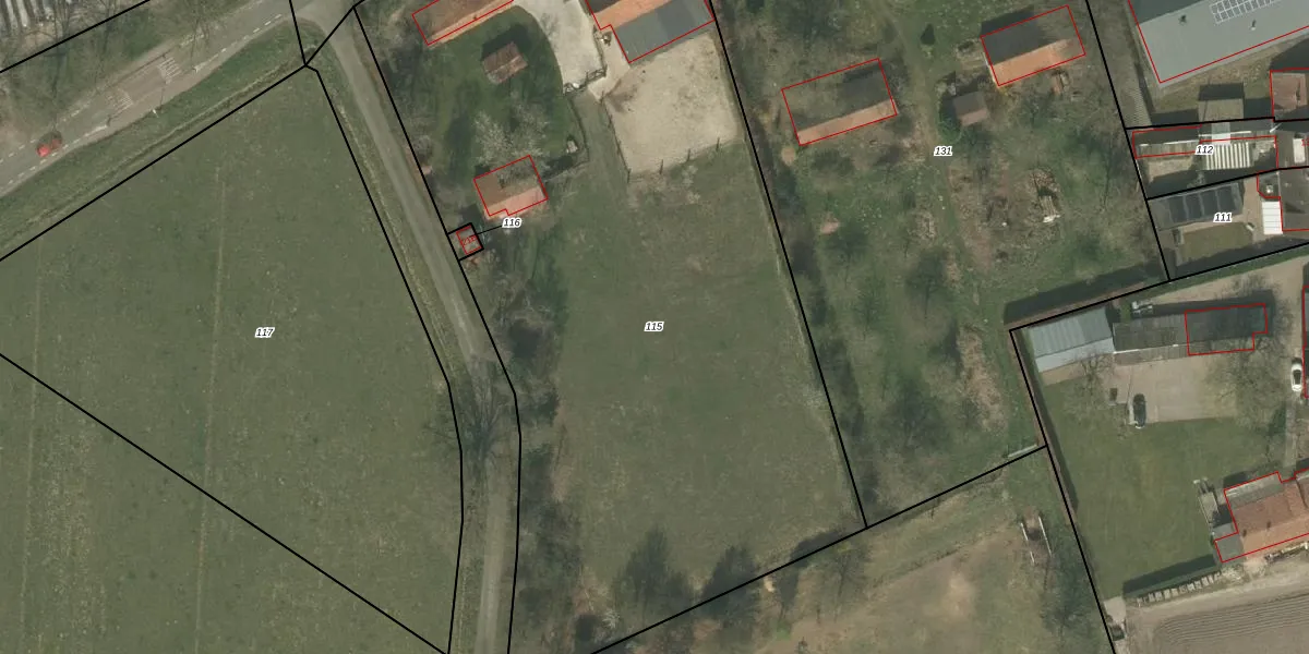
Perceel: NDW00-Z-115
KadastraleKaart.com kan meer dan je denktOntdek meer ›
Filter op bestemming 50+ datasets Eigendomsdata in één klik Percelen CRM
5.556 m2 - 348 m
Eigenaar opvragen
NDW00-Z-115 (Nederweert)
- 6031 RW
b1aPLXaSa87wVKTvNpWckYdv7yHxeFAUpgrade naar KadastraleKaart Pro
Verkoopprijs opvragen
Bekijk op Street View
Download DWG/DXF/Excel
EeZLS08BxUpgrade naar KadastraleKaart Pro
uJ6pmCL3TXBs sXeUpgrade naar KadastraleKaart Pro
DCzcfJfVrvF0EUpgrade naar KadastraleKaart Pro
axL8TQsqQOUpgrade naar KadastraleKaart Pro
81QJS1oclUpgrade naar KadastraleKaart Pro
43 1 aAh VUpgrade naar KadastraleKaart Pro
mI4YtDhcZifWUpgrade naar KadastraleKaart Pro
0mG6 Fkt9PHBoG5lV4KaUpgrade naar KadastraleKaart Pro
pxUoI tUANrZbWGyUpgrade naar KadastraleKaart Pro
2VA2JF Sw8hVbMn PUpgrade naar KadastraleKaart Pro
17/11/2006

Percelen
Gebruik de zoekbalk of klik op een perceel om informatie over het perceel te bekijken.