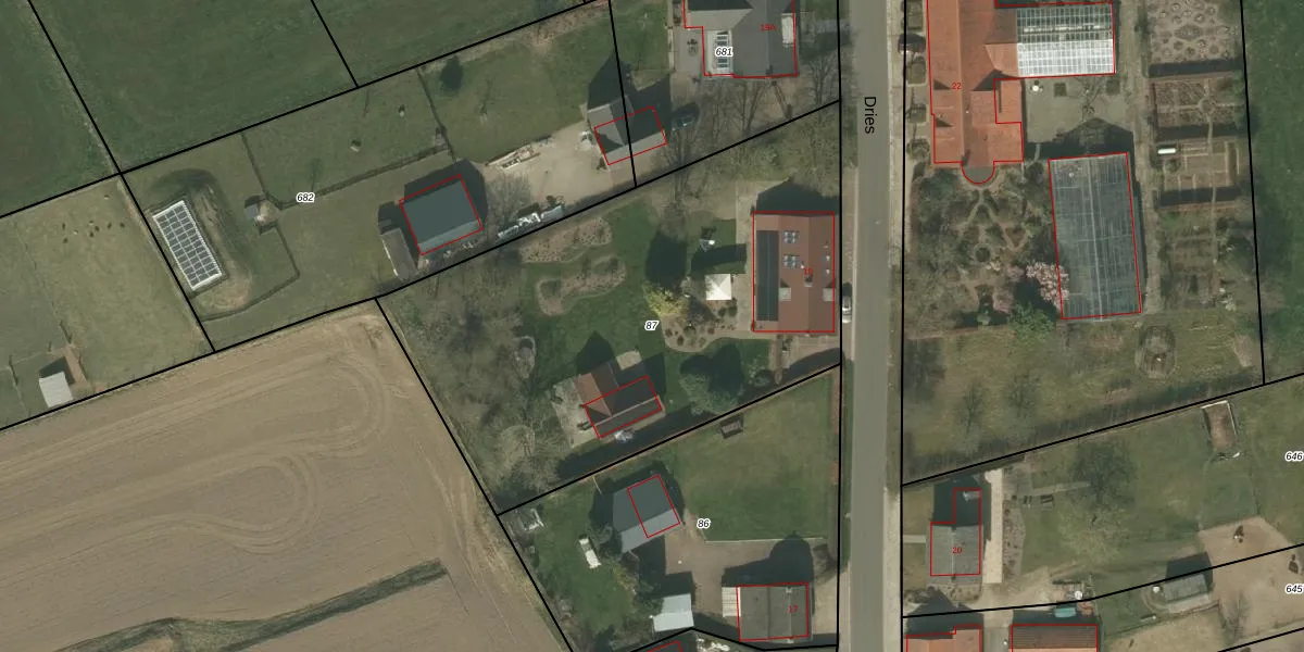
Perceel: NEE00-K-87
KadastraleKaart.com kan meer dan je denktOntdek meer ›
Filter op bestemming 50+ datasets Eigendomsdata in één klik Percelen CRM
2.575 m2 - 214 m
Eigenaar opvragen
NEE00-K-87 (Neer)
- 6086 AV
3N84QAW1NfWExgjoqQPkMUpgrade naar KadastraleKaart Pro
Verkoopprijs opvragen
Bekijk op Street View
Download DWG/DXF/Excel
HCG Qv6VxLuuDqDLPPUpgrade naar KadastraleKaart Pro
bDL h2YU Upgrade naar KadastraleKaart Pro
LjuRqYfmHdCnSVu GCf8h5IUpgrade naar KadastraleKaart Pro
8yVIAeuatD4W421ERUpgrade naar KadastraleKaart Pro
Eh VkPM ErtTw 7fmEssOTUpgrade naar KadastraleKaart Pro
1DgEg6e 7 AwBlQvCvMuPnUpgrade naar KadastraleKaart Pro
XFDiznbpGDpw7WZ68Upgrade naar KadastraleKaart Pro
NHA jK6A hByqleUpgrade naar KadastraleKaart Pro
TRQ K N QlCUpgrade naar KadastraleKaart Pro
9cPY3FVUxd uzbUpgrade naar KadastraleKaart Pro
10/01/2011

Percelen
Gebruik de zoekbalk of klik op een perceel om informatie over het perceel te bekijken.