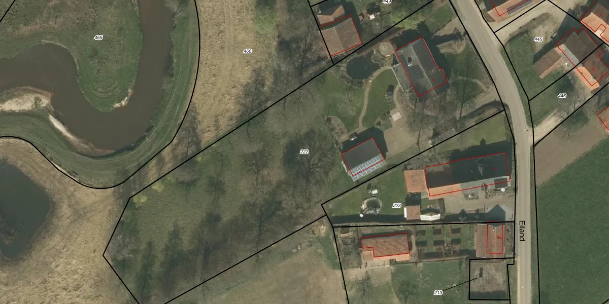
Perceel: NEE00-N-222
KadastraleKaart.com kan meer dan je denktOntdek meer ›
Filter op bestemming 50+ datasets Eigendomsdata in één klik Percelen CRM
5.210 m2 - 351 m
Eigenaar opvragen
NEE00-N-222 (Neer)
- 6086 NA
ZHnzITFDM5kcq aIoVEFxAEoJvUpgrade naar KadastraleKaart Pro
Bekijk op Street View
Download DWG/DXF/Excel
ALtJAfgQ8Upgrade naar KadastraleKaart Pro
S7J9gc8DnGYovN0t8GUpgrade naar KadastraleKaart Pro
l72l9p3m Upgrade naar KadastraleKaart Pro
18YtOPNNx1N5Jv4 VoeUUpgrade naar KadastraleKaart Pro
CDgtzTKbiv Upgrade naar KadastraleKaart Pro
kgiXV6n7CJpLPKUpgrade naar KadastraleKaart Pro
ma18Pcx6jRR2TnmyUpgrade naar KadastraleKaart Pro
Kulv7Slv TjuMTMWmB8H YUpgrade naar KadastraleKaart Pro
UnVZELsn uYm 966W2fMY6fUpgrade naar KadastraleKaart Pro
dFBL79H053 Uh7Ee sUpgrade naar KadastraleKaart Pro
13/12/2011

Percelen
Gebruik de zoekbalk of klik op een perceel om informatie over het perceel te bekijken.