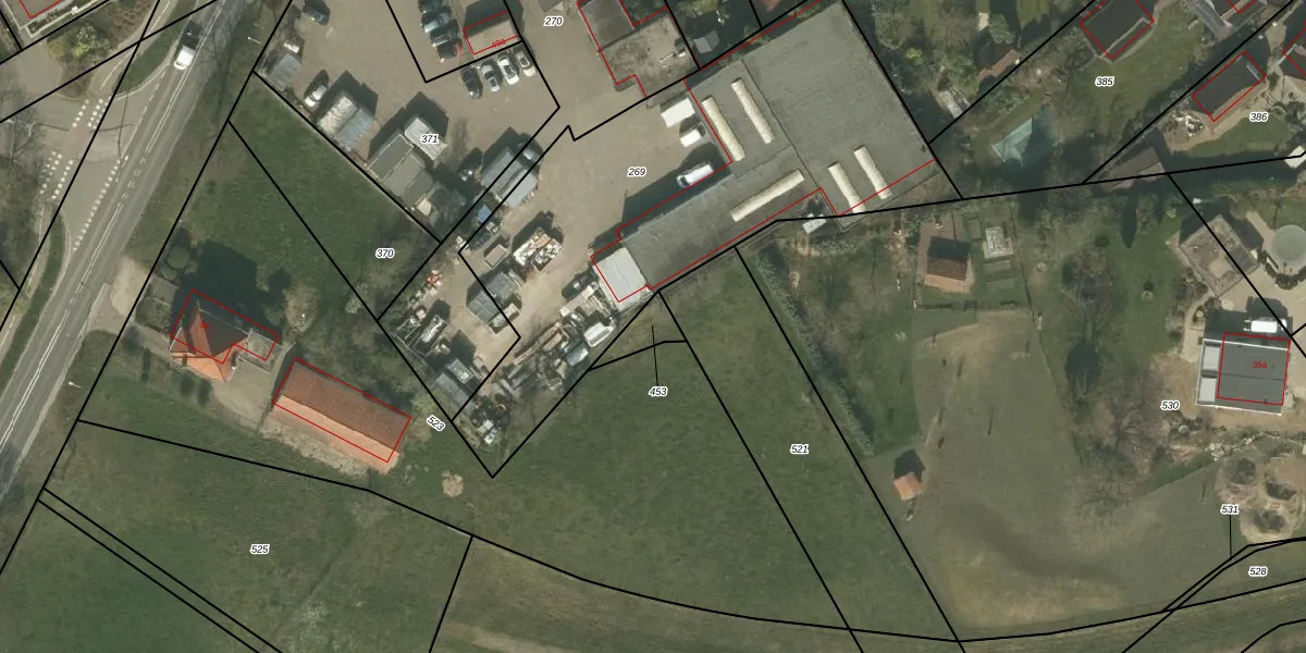
Perceel: NEE00-N-453
KadastraleKaart.com kan meer dan je denktOntdek meer ›
Filter op bestemming 50+ datasets Eigendomsdata in één klik Percelen CRM
Geen adressen bij dit perceel
63 m2 - 41 m
Eigenaar opvragen
NEE00-N-453 (Neer)
- Geen postcode aanwezig
WjegBdYg40Pi5 PLYe xvYD xUpgrade naar KadastraleKaart Pro
Bekijk op Street View
Download DWG/DXF/Excel
2Y3m 0qBU6BUpgrade naar KadastraleKaart Pro
BGI utb6oOoT fjKSc Upgrade naar KadastraleKaart Pro
zJ S7P9J9Qyp IpUpgrade naar KadastraleKaart Pro
dtMDtIp SpCObQ66aiUpgrade naar KadastraleKaart Pro
k SsdsbToTm64j2mAUpgrade naar KadastraleKaart Pro
gQBEI2rjh ESKuUL6v kUpgrade naar KadastraleKaart Pro
s8QkPA9soojOa1u7DUpgrade naar KadastraleKaart Pro
vYq 9QFmr 7mlBT8KqTkFUpgrade naar KadastraleKaart Pro
foARn7oyhBLEUpgrade naar KadastraleKaart Pro
u3RoGBQgUpgrade naar KadastraleKaart Pro
17/11/2008

Percelen
Gebruik de zoekbalk of klik op een perceel om informatie over het perceel te bekijken.