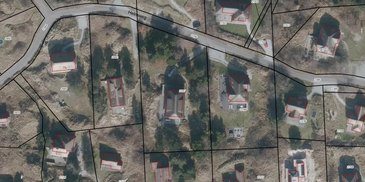
Perceel: NES01-B-2247
KadastraleKaart.com kan meer dan je denktOntdek meer ›
Filter op bestemming 50+ datasets Eigendomsdata in één klik Percelen CRM
2.380 m2 - 207 m
Eigenaar opvragen
NES01-B-2247 (Nes Ameland)
- 9164 LR
wqEb2 83VJkeGIUkfWrzCqvUaEUpgrade naar KadastraleKaart Pro
Bekijk op Street View
Download DWG/DXF/Excel
EgLGTFxbCJy6UcXnBUpgrade naar KadastraleKaart Pro
SlhY5ew OOSIqddSdI 3Upgrade naar KadastraleKaart Pro
RrfkKjXa wL7uzajTd2wUpgrade naar KadastraleKaart Pro
8oC IjwO7Kz Upgrade naar KadastraleKaart Pro
MEZKLDtqC5ZoTNUpgrade naar KadastraleKaart Pro
strlL LniENgUpgrade naar KadastraleKaart Pro
MDokdV4pjuUpgrade naar KadastraleKaart Pro
jzcgsSzLhFVBqWPg Upgrade naar KadastraleKaart Pro
9jKMnS6nf2I AlZUpgrade naar KadastraleKaart Pro
p3X8 5HXOCTJQb1OeomWH5Upgrade naar KadastraleKaart Pro
15/08/2003

Percelen
Gebruik de zoekbalk of klik op een perceel om informatie over het perceel te bekijken.