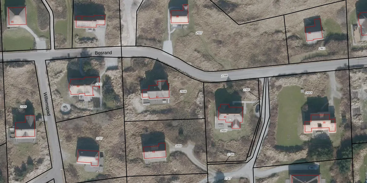
Perceel: NES01-B-2658
KadastraleKaart.com kan meer dan je denktOntdek meer ›
Filter op bestemming 50+ datasets Eigendomsdata in één klik Percelen CRM
1.428 m2 - 147 m
Eigenaar opvragen
NES01-B-2658 (Nes Ameland)
- 9164 LD
q BO03YUpv7QkkBdPJOUpgrade naar KadastraleKaart Pro
Verkoopprijs opvragen
Bekijk op Street View
Download DWG/DXF/Excel
1dgfKpxpF6dUpgrade naar KadastraleKaart Pro
K 0JXKMecqnkJ99iUpgrade naar KadastraleKaart Pro
Fb8f 3k7Upgrade naar KadastraleKaart Pro
KRD9jwoeRSe5GUpgrade naar KadastraleKaart Pro
Lmk0 8c jM SnoUpgrade naar KadastraleKaart Pro
ZOVDUaB gkFtb3Upgrade naar KadastraleKaart Pro
4sTXV44zwtNMeGEcJUpgrade naar KadastraleKaart Pro
r9 gN27Up lfECjK15UUpgrade naar KadastraleKaart Pro
PPD1 bxmW pv1jyM n Upgrade naar KadastraleKaart Pro
1hp0rK9es4Q6l8CDBToDIbUpgrade naar KadastraleKaart Pro
15/08/2003

Percelen
Gebruik de zoekbalk of klik op een perceel om informatie over het perceel te bekijken.