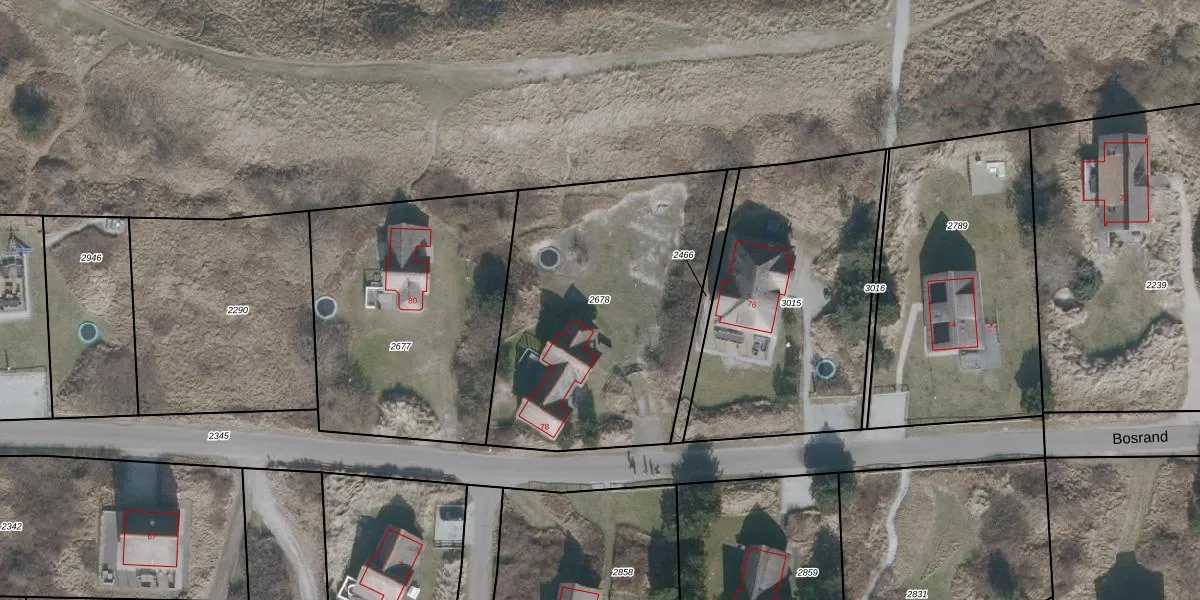
Perceel: NES01-B-2678
KadastraleKaart.com kan meer dan je denktOntdek meer ›
Filter op bestemming 50+ datasets Eigendomsdata in één klik Percelen CRM
1.435 m2 - 155 m
Eigenaar opvragen
NES01-B-2678 (Nes Ameland)
- 9164 LG
FGJNIbUAvmW hgpBg7vRT QxHgkUpgrade naar KadastraleKaart Pro
Verkoopprijs opvragen
Bekijk op Street View
Download DWG/DXF/Excel
LutiK4AVZZ h 9bOvD1Upgrade naar KadastraleKaart Pro
xIJcv HHUpgrade naar KadastraleKaart Pro
OIRuHhBk6YWt0CXxSFpUpgrade naar KadastraleKaart Pro
q A7pNZnwLUpgrade naar KadastraleKaart Pro
oHLMoULumLQl36zjA4eNkHJUpgrade naar KadastraleKaart Pro
fT YI6hPfwqLkUpgrade naar KadastraleKaart Pro
JV3knlZHjUpgrade naar KadastraleKaart Pro
neLXH8ZrTL I1lTtBiVKUpgrade naar KadastraleKaart Pro
D c8TzizUpgrade naar KadastraleKaart Pro
jb1fHsEXi4FuDMeUYQowGUpgrade naar KadastraleKaart Pro
15/08/2003

Percelen
Gebruik de zoekbalk of klik op een perceel om informatie over het perceel te bekijken.