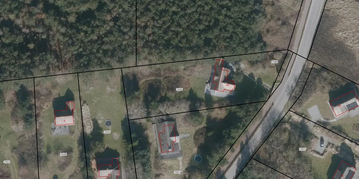
Perceel: NES01-B-2696
KadastraleKaart.com kan meer dan je denktOntdek meer ›
Filter op bestemming 50+ datasets Eigendomsdata in één klik Percelen CRM
2.420 m2 - 232 m
Eigenaar opvragen
NES01-B-2696 (Nes Ameland)
- 9164 KA
YffNdUeYnQ5uzu5PfZkxlfuaBUpgrade naar KadastraleKaart Pro
Bekijk op Street View
Download DWG/DXF/Excel
FUgPR 6xCQ30JZ802 DhEBUpgrade naar KadastraleKaart Pro
AAWufEjVSqHZSUpgrade naar KadastraleKaart Pro
LGSNe5LR8MUpgrade naar KadastraleKaart Pro
SpjqU ccfDqaDF0DToUpgrade naar KadastraleKaart Pro
O5TFAQheUpgrade naar KadastraleKaart Pro
IW9Yn8bqBOGdUpgrade naar KadastraleKaart Pro
BRb9kYOzIGiJXeogUpgrade naar KadastraleKaart Pro
DyUWEnRIJzslIUpgrade naar KadastraleKaart Pro
wGB5PT ts wtnmg7iUpgrade naar KadastraleKaart Pro
caEYtc8yC Upgrade naar KadastraleKaart Pro
15/08/2003

Percelen
Gebruik de zoekbalk of klik op een perceel om informatie over het perceel te bekijken.