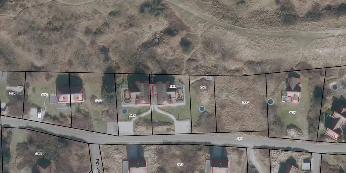
Perceel: NES01-B-2945
KadastraleKaart.com kan meer dan je denktOntdek meer ›
Filter op bestemming 50+ datasets Eigendomsdata in één klik Percelen CRM
791 m2 - 115 m
Eigenaar opvragen
NES01-B-2945 (Nes Ameland)
- 9164 LG
7 BS7A2UW0Jx3h4 s Upgrade naar KadastraleKaart Pro
Bekijk op Street View
Download DWG/DXF/Excel
T eklZkBb19DOUpgrade naar KadastraleKaart Pro
ifdNZPqfjwbHHyyXeds Upgrade naar KadastraleKaart Pro
UCohekRP KwH 4CLBG9rEDxUpgrade naar KadastraleKaart Pro
r6HdFzlRLgB T0KxT2Upgrade naar KadastraleKaart Pro
JBqZzA11tkmQRYUpgrade naar KadastraleKaart Pro
NYU0vvFqJ nL6m1NOSSUpgrade naar KadastraleKaart Pro
1QSQnFdPI jUpgrade naar KadastraleKaart Pro
dKHwI5wggUpgrade naar KadastraleKaart Pro
23Mb5rCpRP0tJsosXUpgrade naar KadastraleKaart Pro
L MJf o Upgrade naar KadastraleKaart Pro
03/06/2014

Percelen
Gebruik de zoekbalk of klik op een perceel om informatie over het perceel te bekijken.