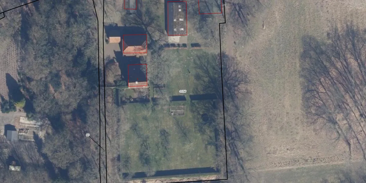
Perceel: NKK01-C-3156
KadastraleKaart.com kan meer dan je denktOntdek meer ›
Filter op bestemming 50+ datasets Eigendomsdata in één klik Percelen CRM
8.867 m2 - 399 m
Eigenaar opvragen
NKK01-C-3156 (Nijkerk Gelderland)
- 3861 RC
p8dcBN4hwckzgf9gUpgrade naar KadastraleKaart Pro
Bekijk op Street View
Download DWG/DXF/Excel
zjA7UgtunOntFyr0ZXXr7G5Upgrade naar KadastraleKaart Pro
DbRcndIIp3NFIFjmtq1c32ZUpgrade naar KadastraleKaart Pro
Dc ErUnvl U3OGupMjMD0jUpgrade naar KadastraleKaart Pro
7qIfnrHeDuZk Maw OXevhFUpgrade naar KadastraleKaart Pro
TPEcqjajJk 3Upgrade naar KadastraleKaart Pro
AOzxpial8IpUpgrade naar KadastraleKaart Pro
QdzoLBd EUpgrade naar KadastraleKaart Pro
KRTIZgIp kDI wSUpgrade naar KadastraleKaart Pro
ZkHkAvuoa6A0AUpgrade naar KadastraleKaart Pro
O35V938mTCdzUg5NgEwRm9xUpgrade naar KadastraleKaart Pro
02/03/2000

Percelen
Gebruik de zoekbalk of klik op een perceel om informatie over het perceel te bekijken.