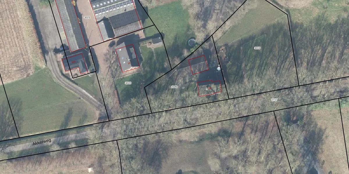
Perceel: NKK01-E-2049
KadastraleKaart.com kan meer dan je denktOntdek meer ›
Filter op bestemming 50+ datasets Eigendomsdata in één klik Percelen CRM
1.171 m2 - 148 m
Eigenaar opvragen
NKK01-E-2049 (Nijkerk Gelderland)
- 3862 PP
a tL GvMZcuIudrNAIbX0QmyTdhe4Upgrade naar KadastraleKaart Pro
Bekijk op Street View
Download DWG/DXF/Excel
llbzT4aI4 Ys3fE PjVPQUpgrade naar KadastraleKaart Pro
0kjwZYWoCVUpgrade naar KadastraleKaart Pro
cJjubsimq 1tWpQas4Upgrade naar KadastraleKaart Pro
DD8rrZWhSqpEUpgrade naar KadastraleKaart Pro
cxIMNWSN Upgrade naar KadastraleKaart Pro
OTktL1NrjC9uXbuIAUpgrade naar KadastraleKaart Pro
0kPxp6XPnTL 24YkYFj zUpgrade naar KadastraleKaart Pro
mZIF3ERKAW9uElPYUpgrade naar KadastraleKaart Pro
TxdxYiRQzPvnXd6tXUpgrade naar KadastraleKaart Pro
zAm5kiJSaXUpgrade naar KadastraleKaart Pro
21/10/2002

Percelen
Gebruik de zoekbalk of klik op een perceel om informatie over het perceel te bekijken.