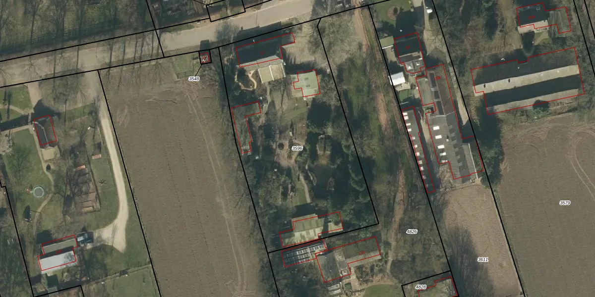
Perceel: NLD03-B-3596
KadastraleKaart.com kan meer dan je denktOntdek meer ›
Filter op bestemming 50+ datasets Eigendomsdata in één klik Percelen CRM
2.675 m2 - 219 m
Eigenaar opvragen
NLD03-B-3596 (Nuland)
- 5392 PD
Wb6 rqPj7 zIiucbAskmdN8pUpgrade naar KadastraleKaart Pro
Bekijk op Street View
Download DWG/DXF/Excel
EA4aUvU7Upgrade naar KadastraleKaart Pro
tUHVk QaYIBx7GLjojMUpgrade naar KadastraleKaart Pro
8eE2Ef07m6w3FEoJUpgrade naar KadastraleKaart Pro
18 BL 7P y7Upgrade naar KadastraleKaart Pro
9NQ4 ZarrvtgUpgrade naar KadastraleKaart Pro
RXWqI1SsEtSEh 4rA3zUpgrade naar KadastraleKaart Pro
NiRTw S4aHUpgrade naar KadastraleKaart Pro
677V3TBgvcXiuVL9JuUpgrade naar KadastraleKaart Pro
t5 1aK MwOeU5d5XyxPUUpgrade naar KadastraleKaart Pro
bWKb9vvwb2DvoHlniBd SmvUpgrade naar KadastraleKaart Pro
23/11/2010

Percelen
Gebruik de zoekbalk of klik op een perceel om informatie over het perceel te bekijken.