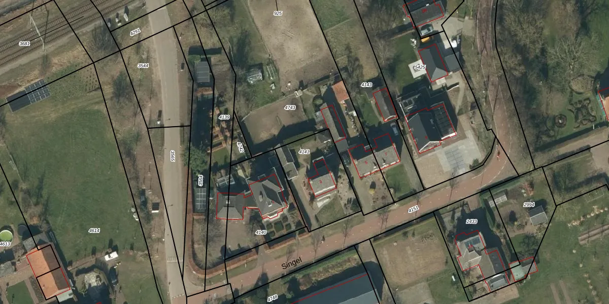
Perceel: NLD03-B-4141
KadastraleKaart.com kan meer dan je denktOntdek meer ›
Filter op bestemming 50+ datasets Eigendomsdata in één klik Percelen CRM
560 m2 - 97 m
Eigenaar opvragen
NLD03-B-4141 (Nuland)
- 5391 KD
tydzkVYN05BWvl8NyRkgV9fsWybtiOnUpgrade naar KadastraleKaart Pro
Verkoopprijs opvragen
Bekijk op Street View
Download DWG/DXF/Excel
3BXAh n1 yfmUpgrade naar KadastraleKaart Pro
hkWo 9MzhUpgrade naar KadastraleKaart Pro
0 ng2VbjMb4NY4m j7Upgrade naar KadastraleKaart Pro
MDm9MIo TkUpgrade naar KadastraleKaart Pro
y6Y y R0cnVUH8MOYj0Upgrade naar KadastraleKaart Pro
pLat94APUUpgrade naar KadastraleKaart Pro
xav Bp UwwTtuwxFDmtUpgrade naar KadastraleKaart Pro
tgEWw A6r6hCBoZFGh5WUpgrade naar KadastraleKaart Pro
cFIlWOP73zUpgrade naar KadastraleKaart Pro
VrUvRZf4jFooikCvrUs xUpgrade naar KadastraleKaart Pro
24/06/2009

Percelen
Gebruik de zoekbalk of klik op een perceel om informatie over het perceel te bekijken.