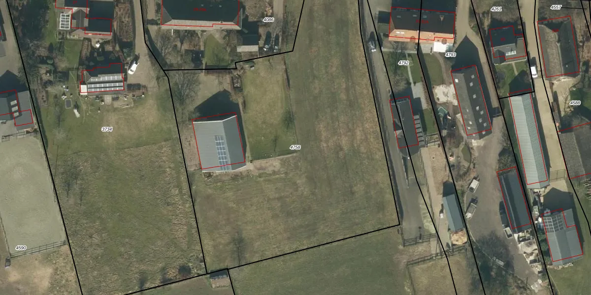
Perceel: NLD03-B-4758
KadastraleKaart.com kan meer dan je denktOntdek meer ›
Filter op bestemming 50+ datasets Eigendomsdata in één klik Percelen CRM
Geen adressen bij dit perceel
4.670 m2 - 309 m
Eigenaar opvragen
NLD03-B-4758 (Nuland)
- Geen postcode aanwezig
53u5gzQd24OTE4 HWy1YpC 5B3Upgrade naar KadastraleKaart Pro
Bekijk op Street View
Download DWG/DXF/Excel
sGgQOeV8n1ZcS 8aRinPzUpgrade naar KadastraleKaart Pro
lJtWWf9FgDh7ZQLnQ 529Upgrade naar KadastraleKaart Pro
zKIyCHD9V N5LmzccuU1 U2Upgrade naar KadastraleKaart Pro
pt o0JTLUpgrade naar KadastraleKaart Pro
xtibeYbxlgk1Upgrade naar KadastraleKaart Pro
VcOPnbHJBAgjUpgrade naar KadastraleKaart Pro
DB 68rRHjO9A xEQUpgrade naar KadastraleKaart Pro
BjcaynG3m5Upgrade naar KadastraleKaart Pro
23Z 7NIUt95ula jUpgrade naar KadastraleKaart Pro
kqp3cYgZ Upgrade naar KadastraleKaart Pro
18/06/2009

Percelen
Gebruik de zoekbalk of klik op een perceel om informatie over het perceel te bekijken.