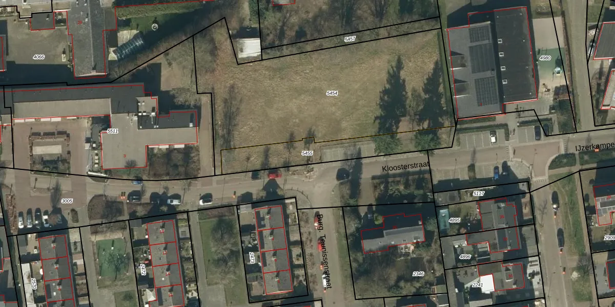
Perceel: NLD03-B-5455
KadastraleKaart.com kan meer dan je denktOntdek meer ›
Filter op bestemming 50+ datasets Eigendomsdata in één klik Percelen CRM
Geen adressen bij dit perceel
550 m2 - 170 m
Eigenaar opvragen
NLD03-B-5455 (Nuland)
- Geen postcode aanwezig
bK gjlsOu 5OiG 7LK2Upgrade naar KadastraleKaart Pro
Bekijk op Street View
Download DWG/DXF/Excel
rc9rM7eNgpo fzn0YUpUpgrade naar KadastraleKaart Pro
SivVUpA3JCyk1HNGWKUpgrade naar KadastraleKaart Pro
g cPvWlnvwNJPnP Vw 2ttUpgrade naar KadastraleKaart Pro
L PYe5DXTRmXBJUpgrade naar KadastraleKaart Pro
xQH6CBubKL BAemu31yK0Upgrade naar KadastraleKaart Pro
wMerP yznJ4yTR7gBUpgrade naar KadastraleKaart Pro
rS4IoalWwz75zQxn4Upgrade naar KadastraleKaart Pro
tEEpoPHCfKMx TqUpgrade naar KadastraleKaart Pro
LbSUIwKqR9 XUpgrade naar KadastraleKaart Pro
eP7qC xxlKRUpgrade naar KadastraleKaart Pro
26/05/2023

Percelen
Gebruik de zoekbalk of klik op een perceel om informatie over het perceel te bekijken.