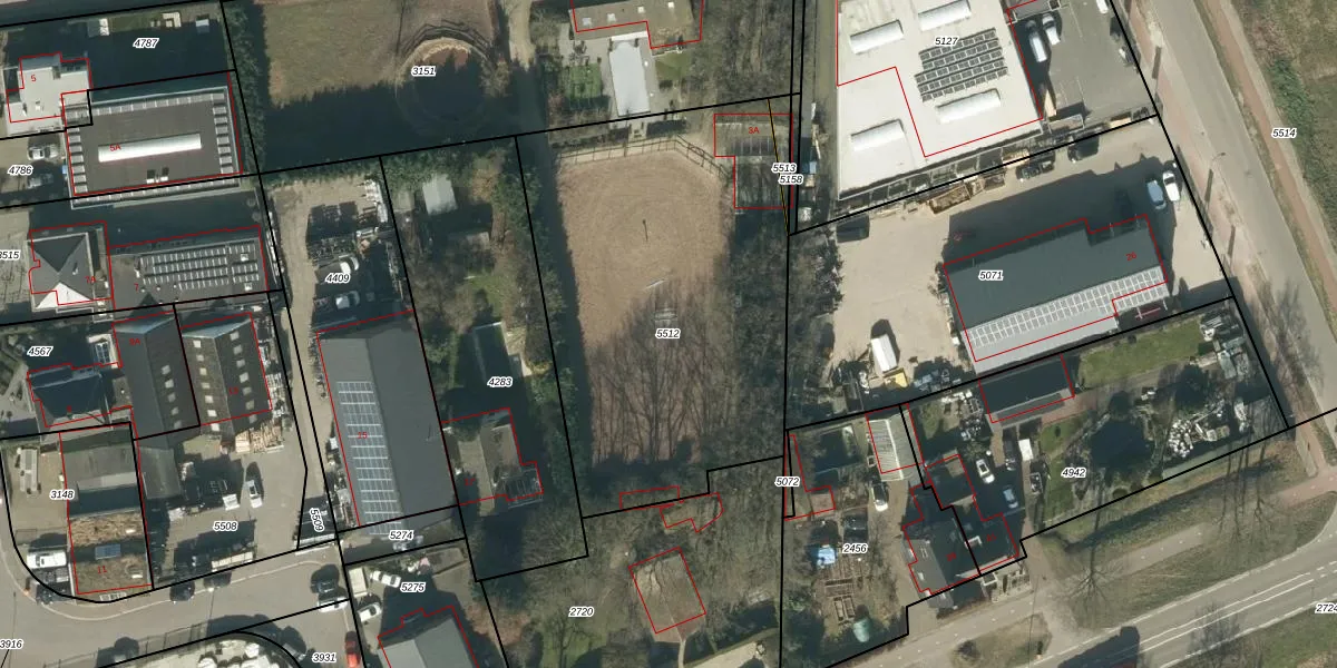
Perceel: NLD03-B-5512
KadastraleKaart.com kan meer dan je denktOntdek meer ›
Filter op bestemming 50+ datasets Eigendomsdata in één klik Percelen CRM
2.009 m2 - 185 m
Eigenaar opvragen
NLD03-B-5512 (Nuland)
- Geen postcode aanwezig
dwkXVku 01yKKTA4W3wE0ifE Mmy Upgrade naar KadastraleKaart Pro
Bekijk op Street View
Download DWG/DXF/Excel
SZjh B6Upgrade naar KadastraleKaart Pro
Q3kI54Y JcKCU8j3Upgrade naar KadastraleKaart Pro
dSCZpSo8rkhU8at1nUpgrade naar KadastraleKaart Pro
tQ4 kKYw 6oaJzTLQQAkuUpgrade naar KadastraleKaart Pro
WG0IuD RT7vMyd7n8Upgrade naar KadastraleKaart Pro
sMfC9xfc58 2nK bulUpgrade naar KadastraleKaart Pro
E cRabLbVSwZW86ISF4DdgUpgrade naar KadastraleKaart Pro
EJ04dXU0ReE7RXCcGuUpgrade naar KadastraleKaart Pro
1RLHWtfNUpgrade naar KadastraleKaart Pro
zcku2lkov1dHUpgrade naar KadastraleKaart Pro
26/06/2025

Percelen
Gebruik de zoekbalk of klik op een perceel om informatie over het perceel te bekijken.