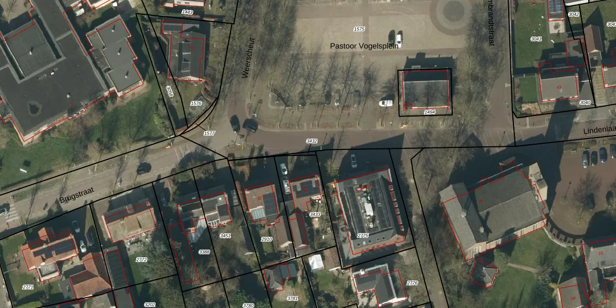
Perceel: NLD03-C-3432
KadastraleKaart.com kan meer dan je denktOntdek meer ›
Filter op bestemming 50+ datasets Eigendomsdata in één klik Percelen CRM
Geen adressen bij dit perceel
14 m2 - 59 m
Eigenaar opvragen
NLD03-C-3432 (Nuland)
- Geen postcode aanwezig
JT8KBNbTgGombCmihWHmfUP5KOR2G7 Upgrade naar KadastraleKaart Pro
Bekijk op Street View
Download DWG/DXF/Excel
M5abV1rSsEUpgrade naar KadastraleKaart Pro
izmXsPjTW20Louy Upgrade naar KadastraleKaart Pro
FOzquKd RXm8qH66i L2JUpgrade naar KadastraleKaart Pro
3vzZ vnbTZzgSC2MOUpgrade naar KadastraleKaart Pro
YlMde mMD w9o8TNLjdpUpgrade naar KadastraleKaart Pro
A47 XfDDlVTj3k YuoFUpgrade naar KadastraleKaart Pro
nF zDK2jNoUpgrade naar KadastraleKaart Pro
tt sk Odo5CvUpgrade naar KadastraleKaart Pro
x 60xEJ8SSkjgVzUUpgrade naar KadastraleKaart Pro
jVh3XhRmvCxe8qYUpgrade naar KadastraleKaart Pro
18/06/2009

Percelen
Gebruik de zoekbalk of klik op een perceel om informatie over het perceel te bekijken.