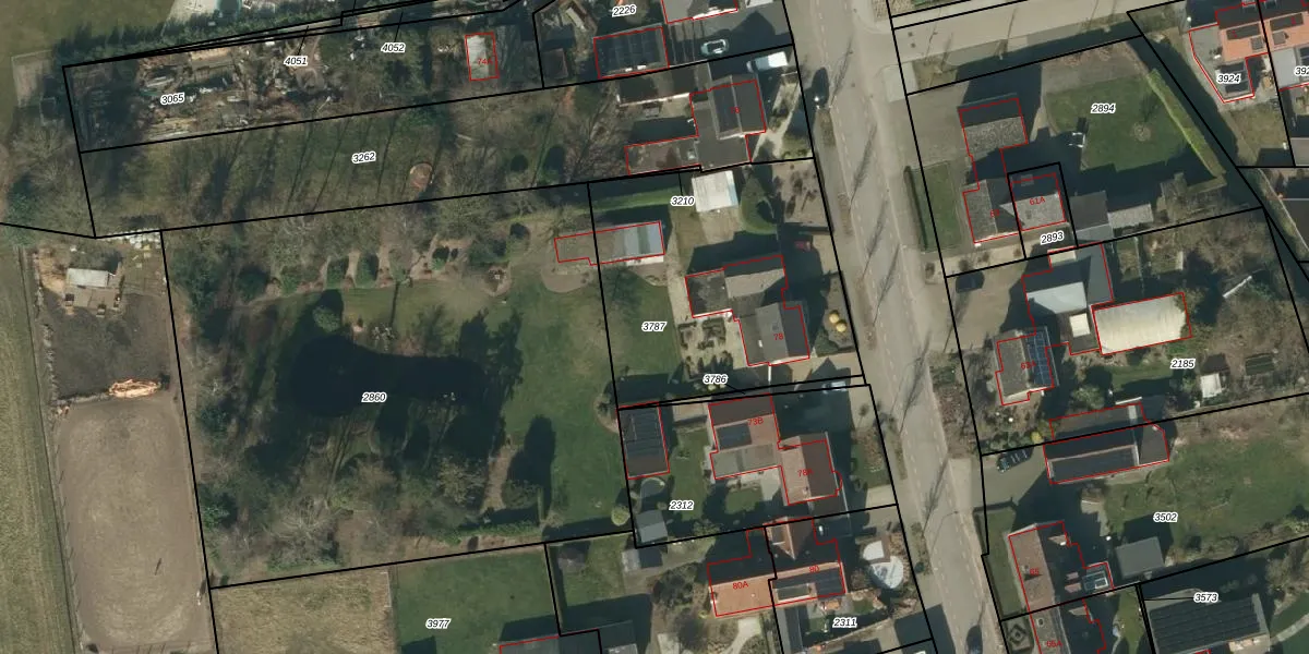
Perceel: NLD03-C-3787
KadastraleKaart.com kan meer dan je denktOntdek meer ›
Filter op bestemming 50+ datasets Eigendomsdata in één klik Percelen CRM
1.200 m2 - 142 m
Eigenaar opvragen
NLD03-C-3787 (Nuland)
- 5382 JE
ayfpiqh mhnX97Z OGUpgrade naar KadastraleKaart Pro
Bekijk op Street View
Download DWG/DXF/Excel
d3Squd80KfmSUpgrade naar KadastraleKaart Pro
0QcFvO cTliomyk MRcJpg Upgrade naar KadastraleKaart Pro
poZYk HsZNaAzdbILCOtzs9Upgrade naar KadastraleKaart Pro
HUEu7ExM A8bCUpgrade naar KadastraleKaart Pro
bkxnfmDd6UcGwA OY1Ki1hUpgrade naar KadastraleKaart Pro
1d7 mnKfSBUJXirSQFbZ Upgrade naar KadastraleKaart Pro
r qUDVfcjmpYUcNS jXgh5Upgrade naar KadastraleKaart Pro
dMDvLTHRVToK Z JwUpgrade naar KadastraleKaart Pro
Jvz nlGY99Q4tLz Upgrade naar KadastraleKaart Pro
hmMnQz udI5PkH fmpfXjmUpgrade naar KadastraleKaart Pro
11/06/2013

Percelen
Gebruik de zoekbalk of klik op een perceel om informatie over het perceel te bekijken.