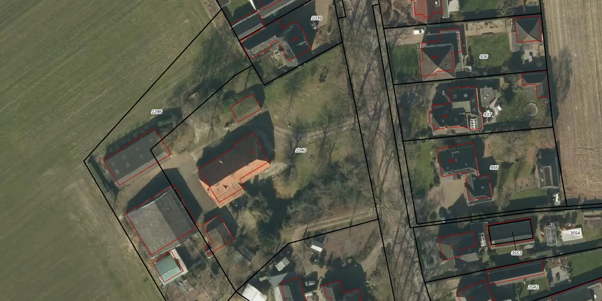
Perceel: NLD03-E-1040
3.628 m2 - 251 m
Eigenaar opvragen
NLD03-E-1040 (Nuland)
- 5382 JK
sK9 wetoPr8 vvBCc87 bLn0Upgrade naar KadastraleKaart Pro
Bekijk op Street View
Download DWG/DXF/Excel
Eh1RFSXalfS Q9k LSUdLUpgrade naar KadastraleKaart Pro
qNOa8DTr1HR5urkFNvuUpgrade naar KadastraleKaart Pro
GwaNtS YcGQLMUpgrade naar KadastraleKaart Pro
XXIgVaCqrTUpgrade naar KadastraleKaart Pro
v hdQmiHcO2rkBpQYzIUpgrade naar KadastraleKaart Pro
dlb9nPGAUegFVGSUpgrade naar KadastraleKaart Pro
IMhQVy GUGOtS bAwK51p76Upgrade naar KadastraleKaart Pro
iDLvLtQddnUUpgrade naar KadastraleKaart Pro
i83LCtsqhmE F6PvVP1NHUpgrade naar KadastraleKaart Pro
SlbOi 43Upgrade naar KadastraleKaart Pro
29/04/2010

Percelen
Gebruik de zoekbalk of klik op een perceel om informatie over het perceel te bekijken.