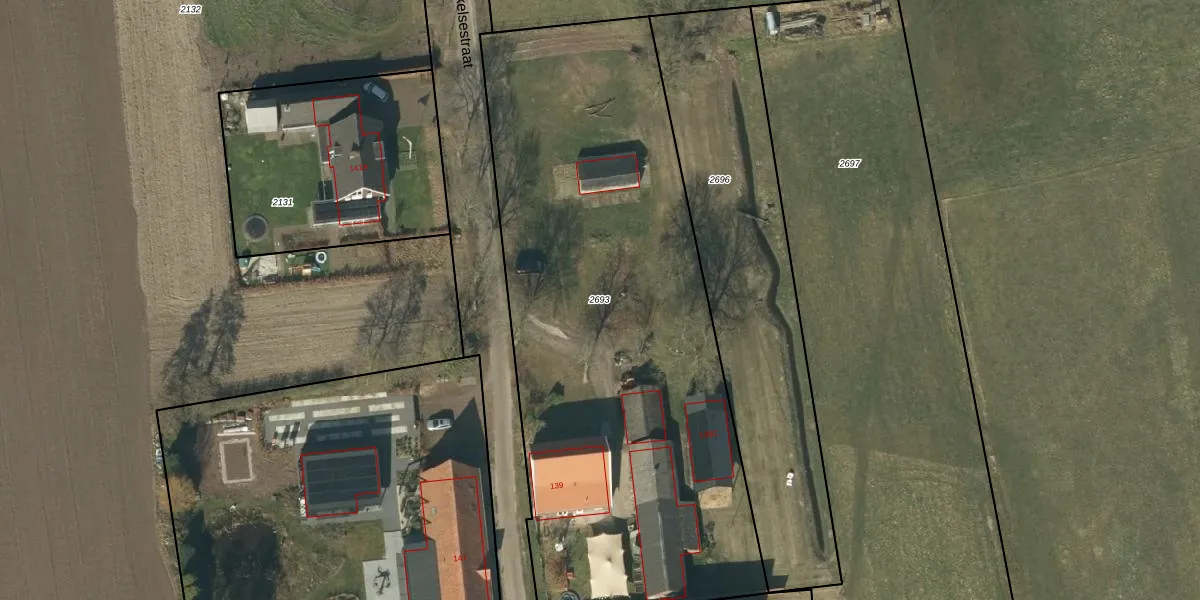
Perceel: NLD03-E-2693
KadastraleKaart.com kan meer dan je denktOntdek meer ›
Filter op bestemming 50+ datasets Eigendomsdata in één klik Percelen CRM
3.365 m2 - 265 m
Eigenaar opvragen
NLD03-E-2693 (Nuland)
- 5383 KK
UIOAHg oMjESJoOfZA kjuUpgrade naar KadastraleKaart Pro
Verkoopprijs opvragen
Bekijk op Street View
Download DWG/DXF/Excel
LItn K YfCmt0ZUpgrade naar KadastraleKaart Pro
K0r9VW0kNCE8aPUUpgrade naar KadastraleKaart Pro
cTzU IFjN3A AUpgrade naar KadastraleKaart Pro
zlYjTR6OvZXEnocUpgrade naar KadastraleKaart Pro
1ROe 6kCK7dczX5zJcLsB1zUpgrade naar KadastraleKaart Pro
cL0Z EziRUpgrade naar KadastraleKaart Pro
L4XkVVMiXU4DUpgrade naar KadastraleKaart Pro
rEe4k5ka4bxv5Upgrade naar KadastraleKaart Pro
WaWrqG EYMKb94DlDZ1ktBUpgrade naar KadastraleKaart Pro
sy 8 bbCnwgnSpZvj7 Upgrade naar KadastraleKaart Pro
16/02/2021

Percelen
Gebruik de zoekbalk of klik op een perceel om informatie over het perceel te bekijken.