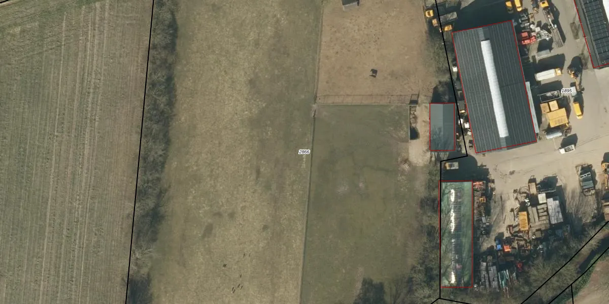
Perceel: NLD03-E-2866
KadastraleKaart.com kan meer dan je denktOntdek meer ›
Filter op bestemming 50+ datasets Eigendomsdata in één klik Percelen CRM
18.865 m2 - 1.035 m
Eigenaar opvragen
NLD03-E-2866 (Nuland)
- 5381 GV
W8MzdXpu Vc6Gor P4o zFmWGphiDUpgrade naar KadastraleKaart Pro
Bekijk op Street View
Download DWG/DXF/Excel
eww6xhRJxLZvF599m f7F2Upgrade naar KadastraleKaart Pro
hkbJ0B5OUpgrade naar KadastraleKaart Pro
Xa U kvZc hmCaXUpgrade naar KadastraleKaart Pro
Sx4OtvEegUpgrade naar KadastraleKaart Pro
QecUeqqXPl V rgUpgrade naar KadastraleKaart Pro
0EXn4m3RP4qs 4Cc GGN9WdUpgrade naar KadastraleKaart Pro
9xkCBD2zs42vgvDMMfd0CUpgrade naar KadastraleKaart Pro
qT QZ 2lN6H4LUpgrade naar KadastraleKaart Pro
zU35lbE zHih 4YvMR8u4sYUpgrade naar KadastraleKaart Pro
CLG CS55tNPWwd7ZnUpgrade naar KadastraleKaart Pro
10/07/2023

Percelen
Gebruik de zoekbalk of klik op een perceel om informatie over het perceel te bekijken.