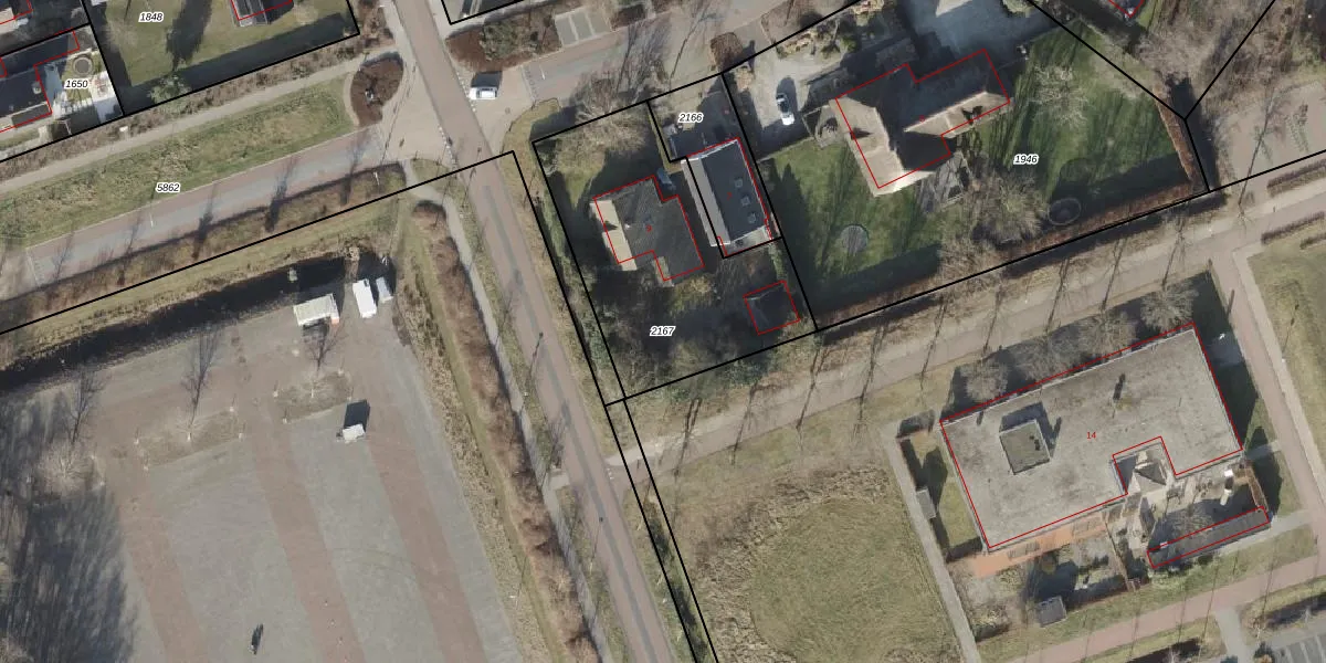
Perceel: NLS00-L-2167
KadastraleKaart.com kan meer dan je denktOntdek meer ›
Filter op bestemming 50+ datasets Eigendomsdata in één klik Percelen CRM
990 m2 - 144 m
Eigenaar opvragen
NLS00-L-2167 (Nieuwleusen)
- 7711 KG
V9UnSjxycUxkaCF T7HoJLUpgrade naar KadastraleKaart Pro
Verkoopprijs opvragen
Bekijk op Street View
Download DWG/DXF/Excel
z2 vQ97tUpgrade naar KadastraleKaart Pro
PA v27hvsYxB n 96Upgrade naar KadastraleKaart Pro
atlEksSz0m5 VpUpgrade naar KadastraleKaart Pro
S j TFRX7Upgrade naar KadastraleKaart Pro
O GxB3 yhoUpgrade naar KadastraleKaart Pro
ib gp6dt6EUpgrade naar KadastraleKaart Pro
r7K3Fjo5L dUpgrade naar KadastraleKaart Pro
7LM5SNFoKAwZvUeFT97Upgrade naar KadastraleKaart Pro
K88Qdhnx Upgrade naar KadastraleKaart Pro
U0WX4O22alXkRIVxW9mE DUpgrade naar KadastraleKaart Pro
29/06/2010

Percelen
Gebruik de zoekbalk of klik op een perceel om informatie over het perceel te bekijken.