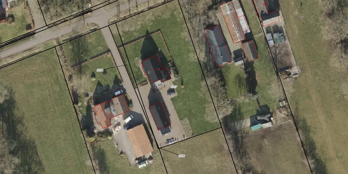
Perceel: NLS00-O-1077
KadastraleKaart.com kan meer dan je denktOntdek meer ›
Filter op bestemming 50+ datasets Eigendomsdata in één klik Percelen CRM
2.963 m2 - 231 m
Eigenaar opvragen
NLS00-O-1077 (Nieuwleusen)
- 7711 DG
ptZ7 oBqAhgI RrY ZUiUpgrade naar KadastraleKaart Pro
Bekijk op Street View
Download DWG/DXF/Excel
5ZzC R ZT8oJktUpgrade naar KadastraleKaart Pro
Letg5pDoWUpgrade naar KadastraleKaart Pro
a cOr1 T6xwIfa7U k5puvvUpgrade naar KadastraleKaart Pro
MiMD CoJAI8wb Uieb8ZUpgrade naar KadastraleKaart Pro
y Xh eyJfHnUzpLMUUpgrade naar KadastraleKaart Pro
SCiuPtrpj3g3W2xam6 NexUpgrade naar KadastraleKaart Pro
b0T1FeN4ac2vHUW3NPUpgrade naar KadastraleKaart Pro
R1o5jy6 NUpgrade naar KadastraleKaart Pro
KMCA9HO F7dDxM000OUpgrade naar KadastraleKaart Pro
ShxWTNpp2e iafY VUpgrade naar KadastraleKaart Pro
12/03/2024

Percelen
Gebruik de zoekbalk of klik op een perceel om informatie over het perceel te bekijken.