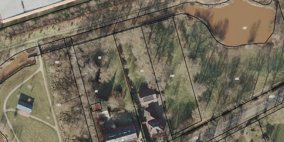
Perceel: NLS00-O-21
KadastraleKaart.com kan meer dan je denktOntdek meer ›
Filter op bestemming 50+ datasets Eigendomsdata in één klik Percelen CRM
1.679 m2 - 209 m
Eigenaar opvragen
NLS00-O-21 (Nieuwleusen)
- 7711 EP
H4d lYgkAAMIJQz7 F 2mG6f6Upgrade naar KadastraleKaart Pro
Verkoopprijs opvragen
Bekijk op Street View
Download DWG/DXF/Excel
nzqZsiTeMTx MqwUpgrade naar KadastraleKaart Pro
qcsh6aBa3i375s HETGUpgrade naar KadastraleKaart Pro
xsGvDviOgwXqm2blGUpgrade naar KadastraleKaart Pro
vwufv Y13fW Upgrade naar KadastraleKaart Pro
tx 4u5K9MyDr8Upgrade naar KadastraleKaart Pro
dA7Nvk9Y QH2deZIUlK1tOaUpgrade naar KadastraleKaart Pro
hU Yc0t7QEUpgrade naar KadastraleKaart Pro
n2gqsV1vgUpgrade naar KadastraleKaart Pro
iPRRY 6gAVUpgrade naar KadastraleKaart Pro
YQiJYLEmb2lN6FJZDUpgrade naar KadastraleKaart Pro
22/10/2013

Percelen
Gebruik de zoekbalk of klik op een perceel om informatie over het perceel te bekijken.