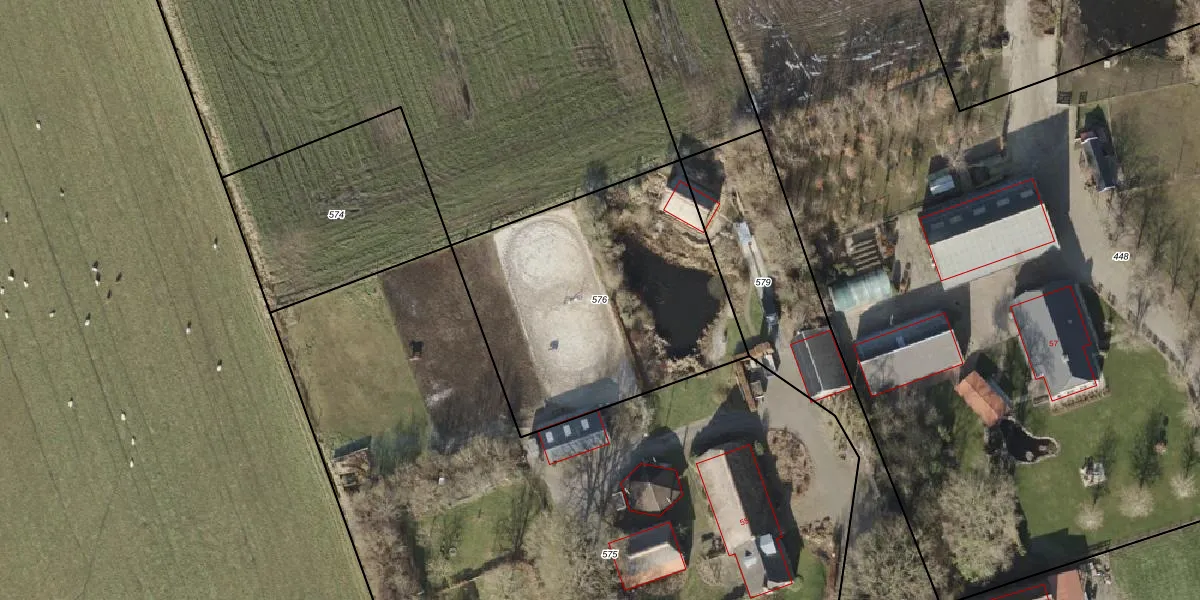
Perceel: NLS00-P-576
KadastraleKaart.com kan meer dan je denktOntdek meer ›
Filter op bestemming 50+ datasets Eigendomsdata in één klik Percelen CRM
Geen adressen bij dit perceel
1.395 m2 - 150 m
Eigenaar opvragen
NLS00-P-576 (Nieuwleusen)
- Geen postcode aanwezig
jGtuBMez0pn49xL3VJkqhCZGTYhDUpgrade naar KadastraleKaart Pro
Bekijk op Street View
Download DWG/DXF/Excel
btr8tnX7khy lGa67WUpgrade naar KadastraleKaart Pro
g Mw1Et8zUpgrade naar KadastraleKaart Pro
r rLrLBMUDlgUpgrade naar KadastraleKaart Pro
4BTutFtW4QN7jsUpgrade naar KadastraleKaart Pro
fVyhtoBSPkfpob7dAvUpgrade naar KadastraleKaart Pro
Ves53Y 6CAsQ2EUpgrade naar KadastraleKaart Pro
rrIPSKLtUKFXmUpgrade naar KadastraleKaart Pro
u7CpeCNo07N3UXkN8sUpgrade naar KadastraleKaart Pro
TAIoHLM18ENgsUjgqTGkdUpgrade naar KadastraleKaart Pro
4Z N PEYxuW 8XUpgrade naar KadastraleKaart Pro
15/08/2017

Percelen
Gebruik de zoekbalk of klik op een perceel om informatie over het perceel te bekijken.