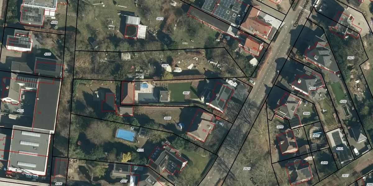
Perceel: NNN00-D-3867
KadastraleKaart.com kan meer dan je denktOntdek meer ›
Filter op bestemming 50+ datasets Eigendomsdata in één klik Percelen CRM
1.079 m2 - 170 m
Eigenaar opvragen
NNN00-D-3867 (Nuenen)
- 5674 AD
Fl6ExHDpntfazkSFcevxeku1iS4Upgrade naar KadastraleKaart Pro
Verkoopprijs opvragen
Bekijk op Street View
Download DWG/DXF/Excel
222wTY8mM52SmUpgrade naar KadastraleKaart Pro
jdt yaYkn1SF4Ur7c41 nUpgrade naar KadastraleKaart Pro
J8IeEUB1 GzUpgrade naar KadastraleKaart Pro
wl HKWD3 k6bUpgrade naar KadastraleKaart Pro
zb1fNs gA9p Upgrade naar KadastraleKaart Pro
Cep4ozvIUpgrade naar KadastraleKaart Pro
iDVDOf6ewUpgrade naar KadastraleKaart Pro
nkPc8u4VrUpgrade naar KadastraleKaart Pro
90CZdZsSfAv0DbEUpgrade naar KadastraleKaart Pro
fqcmH M6y N3I DKrciUpgrade naar KadastraleKaart Pro
17/09/2009

Percelen
Gebruik de zoekbalk of klik op een perceel om informatie over het perceel te bekijken.