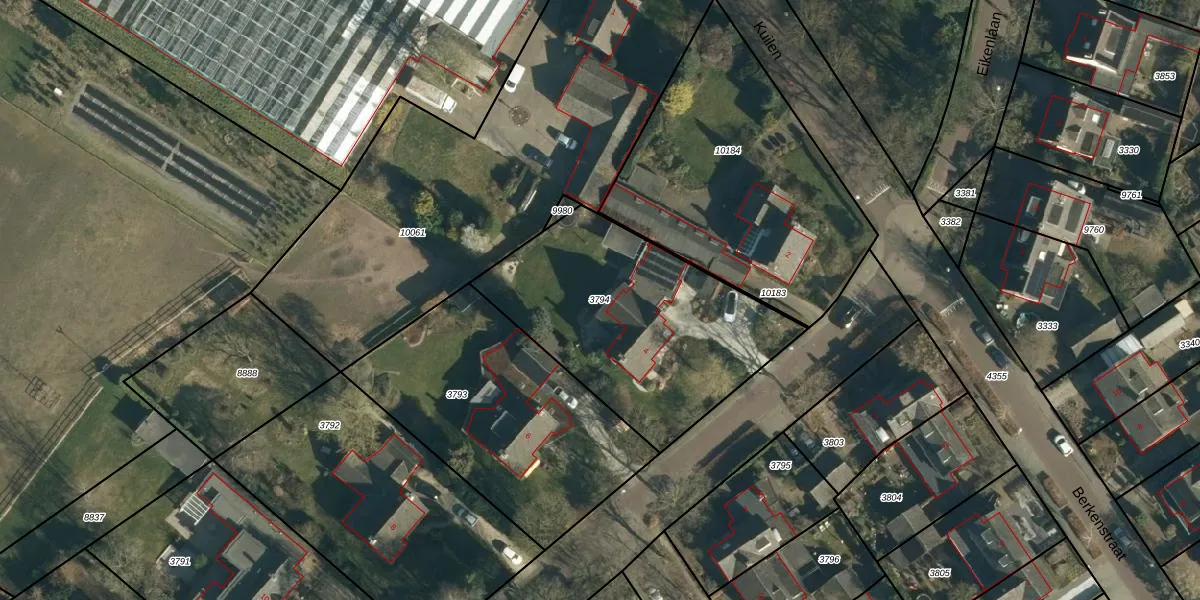
Perceel: NNN00-E-3794
1.124 m2 - 141 m
Eigenaar opvragen
NNN00-E-3794 (Nuenen)
- 5671 AJ
HmReeD9mmfOokS5 KUpgrade naar KadastraleKaart Pro
Verkoopprijs opvragen
Bekijk op Street View
Download DWG/DXF/Excel
HewYfBjuUpgrade naar KadastraleKaart Pro
Rr2o9GBO0AfmsaTUpgrade naar KadastraleKaart Pro
BKJMEJ ES6Qj eON0CwqUpgrade naar KadastraleKaart Pro
WHluKk VBm3ooWG7GPiAStsUpgrade naar KadastraleKaart Pro
Rh85RlAXtUpgrade naar KadastraleKaart Pro
CCAg nDa2C5LwXOrUpgrade naar KadastraleKaart Pro
iymBC52pYpwK9JyUpgrade naar KadastraleKaart Pro
tjQw6dCK4 D oDUpgrade naar KadastraleKaart Pro
UiwaMecYqxUpgrade naar KadastraleKaart Pro
Gzn SgrMxFQSPYnUpgrade naar KadastraleKaart Pro
09/06/2021

Percelen
Gebruik de zoekbalk of klik op een perceel om informatie over het perceel te bekijken.