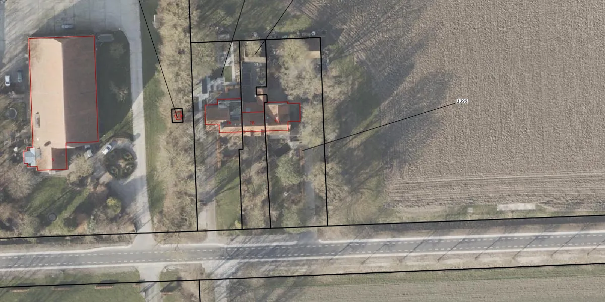
Perceel: NOP00-A-1398
1.177 m2 - 170 m
Eigenaar opvragen
NOP00-A-1398 (Noordoostpolder)
- 8305 AR
Wl 40Tt T6CEIy2tzHzUpgrade naar KadastraleKaart Pro
Bekijk op Street View
Download DWG/DXF/Excel
mvPa yEJZfmv3d 7Upgrade naar KadastraleKaart Pro
qTzdcvDUpgrade naar KadastraleKaart Pro
y e Z2CMpxV0L4UUpgrade naar KadastraleKaart Pro
Kjev8rNCyoDY zUpgrade naar KadastraleKaart Pro
KVFPo1 5Upgrade naar KadastraleKaart Pro
J4isn9LkMD99QUpgrade naar KadastraleKaart Pro
yx7Qso6 lOs4aUpgrade naar KadastraleKaart Pro
QYjv3Hd7ulPG pr Upgrade naar KadastraleKaart Pro
6efAe hdfnpstrDgVqlMxUpgrade naar KadastraleKaart Pro
MB Wuo9nEdGUPujZUpgrade naar KadastraleKaart Pro
20/08/1997

Percelen
Gebruik de zoekbalk of klik op een perceel om informatie over het perceel te bekijken.