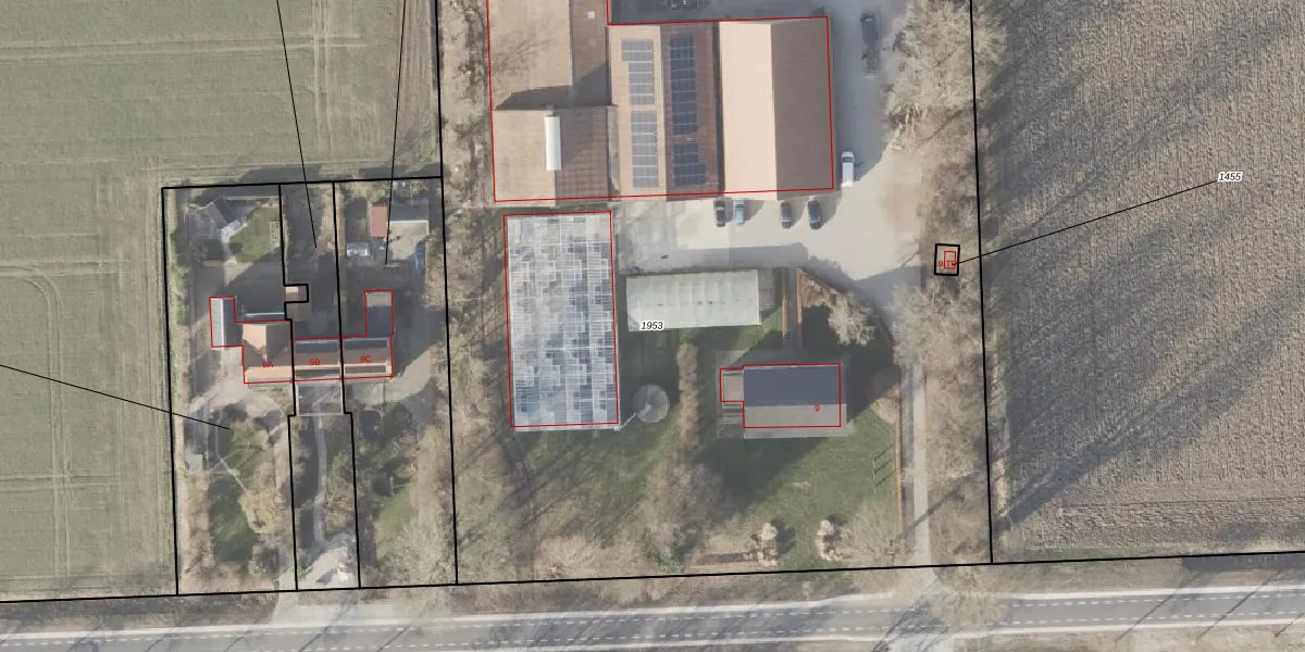
Perceel: NOP00-A-1953
9.185 m2 - 404 m
Eigenaar opvragen
NOP00-A-1953 (Noordoostpolder)
- 8305 AR
XBzjNRFEpaR6Ku7uUwFUpgrade naar KadastraleKaart Pro
Bekijk op Street View
Download DWG/DXF/Excel
4Dz CdRqmUpgrade naar KadastraleKaart Pro
tT3MJSIjk7MBS9 eUpgrade naar KadastraleKaart Pro
Unn1quHZTUKlvFUpgrade naar KadastraleKaart Pro
XB6Zj3660TlJe94 hY DLdUpgrade naar KadastraleKaart Pro
C7edN9P j rOnOt8uUpgrade naar KadastraleKaart Pro
nGmmHf9S9RUpgrade naar KadastraleKaart Pro
oyI9R0Bz lMs0Vrxsf4Upgrade naar KadastraleKaart Pro
HcXuxKKcX27X bmSnRS5tI Upgrade naar KadastraleKaart Pro
zIl3T9 LGA1kL9iFUpgrade naar KadastraleKaart Pro
7OJKeSlVN cuGUpgrade naar KadastraleKaart Pro
20/08/1997

Percelen
Gebruik de zoekbalk of klik op een perceel om informatie over het perceel te bekijken.