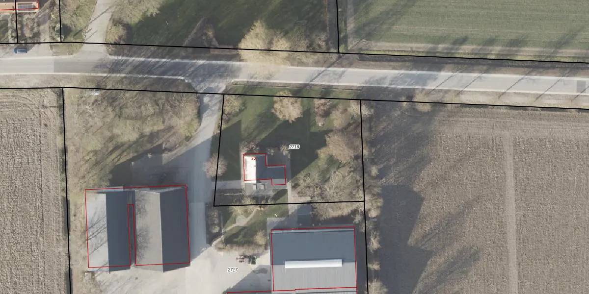
Perceel: NOP00-A-2718
KadastraleKaart.com kan meer dan je denktOntdek meer ›
Filter op bestemming 50+ datasets Eigendomsdata in één klik Percelen CRM
1.770 m2 - 170 m
Eigenaar opvragen
NOP00-A-2718 (Noordoostpolder)
- 8305 AT
BVz YXG 9 oWNQg9Upgrade naar KadastraleKaart Pro
Verkoopprijs opvragen
Bekijk op Street View
Download DWG/DXF/Excel
F 8JVqZSV78qSqjeOmax 7Upgrade naar KadastraleKaart Pro
Y17g1CCVW2MhBL4Upgrade naar KadastraleKaart Pro
SG1wNv30twpc5EUpgrade naar KadastraleKaart Pro
L Mvat vl4Upgrade naar KadastraleKaart Pro
0McSBi97SDBNwB8 dUpgrade naar KadastraleKaart Pro
o8Z kaW77UQK4FP0Upgrade naar KadastraleKaart Pro
XkD4mix0PbmxwBLUpgrade naar KadastraleKaart Pro
2Qqf 5 VDGJ9TRCjJ7sPUpgrade naar KadastraleKaart Pro
I8UqA kqfICERYzAxrUpgrade naar KadastraleKaart Pro
QeP05 aZDcm4NQjD5AiucUpgrade naar KadastraleKaart Pro
22/12/2014

Percelen
Gebruik de zoekbalk of klik op een perceel om informatie over het perceel te bekijken.