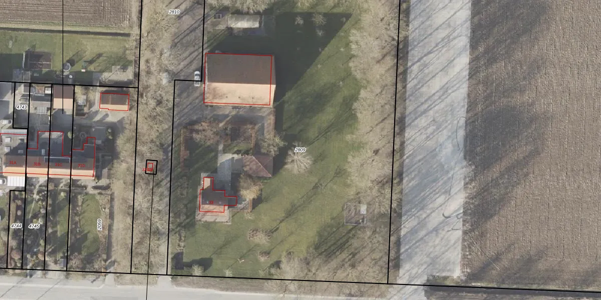
Perceel: NOP00-B-2809
7.380 m2 - 357 m
Eigenaar opvragen
NOP00-B-2809 (Noordoostpolder)
- 8316 PE
LtM 6TnPnzXYyf41vpGVeLOhaUpgrade naar KadastraleKaart Pro
Verkoopprijs opvragen
Bekijk op Street View
Download DWG/DXF/Excel
2En3Bo9bEF99aoXL6Ja3ayUpgrade naar KadastraleKaart Pro
NyIiL7RWvUpgrade naar KadastraleKaart Pro
tbuEXyXxEdIUpgrade naar KadastraleKaart Pro
cKP6whHfIdhjG9Q1ZUpgrade naar KadastraleKaart Pro
CnM9 o v3BUpgrade naar KadastraleKaart Pro
so8jauc9xuaN 17NUpgrade naar KadastraleKaart Pro
UsWqAzJYKrB JJHUpgrade naar KadastraleKaart Pro
U FRWRgnzrX 9S 3Upgrade naar KadastraleKaart Pro
jG5y2vUMnWUUpgrade naar KadastraleKaart Pro
61TJSJVz uU ojeKCaUpgrade naar KadastraleKaart Pro
06/05/2009

Percelen
Gebruik de zoekbalk of klik op een perceel om informatie over het perceel te bekijken.