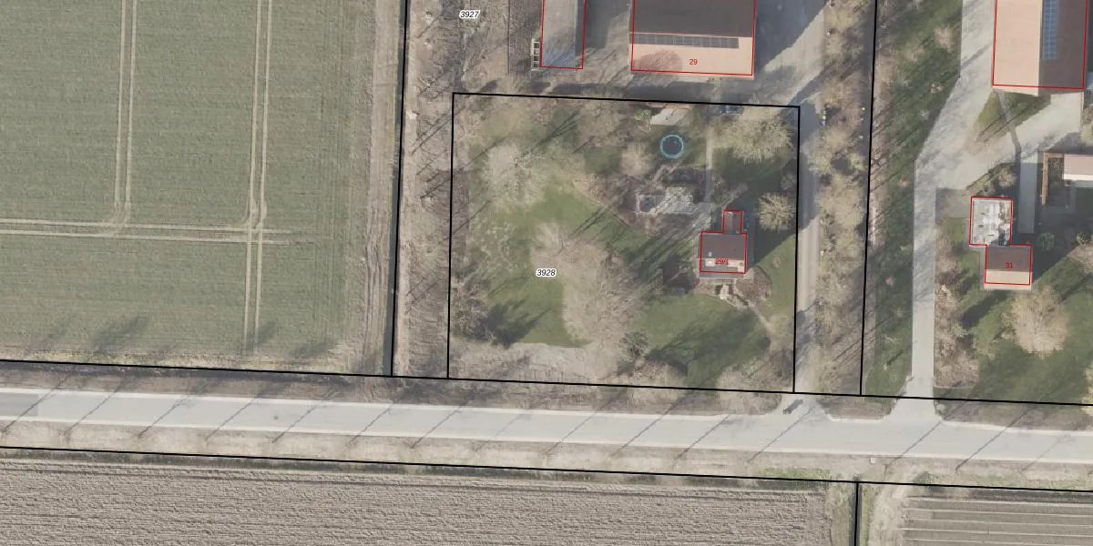
Perceel: NOP00-B-3928
KadastraleKaart.com kan meer dan je denktOntdek meer ›
Filter op bestemming 50+ datasets Eigendomsdata in één klik Percelen CRM
3.310 m2 - 231 m
Eigenaar opvragen
NOP00-B-3928 (Noordoostpolder)
- 8316 PD
vRVSEnwWeTzGzOXfWMQ PZ 5YYl0C3kUpgrade naar KadastraleKaart Pro
Bekijk op Street View
Download DWG/DXF/Excel
Zj 3kS9J2TeaJ9xRN 15Upgrade naar KadastraleKaart Pro
qhPz2K27AJwV bAZs5Yw7Upgrade naar KadastraleKaart Pro
ZJVBfMfr 88LPCUpgrade naar KadastraleKaart Pro
YbjDxAK15xCLkYneUpgrade naar KadastraleKaart Pro
Tijzf4C93qUpgrade naar KadastraleKaart Pro
Olska7rP1crfP 3Upgrade naar KadastraleKaart Pro
wq MUxhQ Zhe0 iEilUpgrade naar KadastraleKaart Pro
Mt2w3rPdF5cI1LWUpgrade naar KadastraleKaart Pro
ps7 enr9ZQOvtz79HVUpgrade naar KadastraleKaart Pro
RDIS d8j Upgrade naar KadastraleKaart Pro
10/12/2015

Percelen
Gebruik de zoekbalk of klik op een perceel om informatie over het perceel te bekijken.