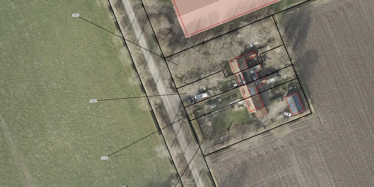
Perceel: NOP00-C-1902
615 m2 - 156 m
Eigenaar opvragen
NOP00-C-1902 (Noordoostpolder)
- 8317 PK
Un sT3 b4M GNT2ab03wEZaaHx4cEUpgrade naar KadastraleKaart Pro
Verkoopprijs opvragen
Bekijk op Street View
Download DWG/DXF/Excel
68hEo0PJ310FUpgrade naar KadastraleKaart Pro
IM23VKjryTKoQeRwAgtsCMUpgrade naar KadastraleKaart Pro
DWAXCvyTSOyY 59Upgrade naar KadastraleKaart Pro
09vqyYHxuZ5DV8 soNe1IUpgrade naar KadastraleKaart Pro
lZ gseHbds7bBxBUpgrade naar KadastraleKaart Pro
Dw hIxBPJUpgrade naar KadastraleKaart Pro
omRUTaz VZmqPdsUkyI0zUpgrade naar KadastraleKaart Pro
1tchaUVvUpgrade naar KadastraleKaart Pro
u9fUdxs gUpgrade naar KadastraleKaart Pro
QJW4t3s 3dDd8ny E48 IUpgrade naar KadastraleKaart Pro
20/08/1997

Percelen
Gebruik de zoekbalk of klik op een perceel om informatie over het perceel te bekijken.