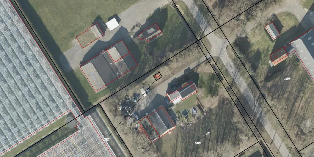
Perceel: NOP00-C-2325
16 m2 - 16 m
Eigenaar opvragen
NOP00-C-2325 (Noordoostpolder)
- 8307 PG
LWdnIE6FJL34YxSjuEApUpgrade naar KadastraleKaart Pro
Bekijk op Street View
Download DWG/DXF/Excel
YGIm3mf Upgrade naar KadastraleKaart Pro
e9OAXebWsFUpgrade naar KadastraleKaart Pro
Ykpvk 8vVdLUpgrade naar KadastraleKaart Pro
ktMTQ7He3ra Upgrade naar KadastraleKaart Pro
qSVO8cPJNnHUYBY0Upgrade naar KadastraleKaart Pro
fWy 91J44Gb2jQUpgrade naar KadastraleKaart Pro
e2Zgc6zheUcOB1sU yUpgrade naar KadastraleKaart Pro
YAUNR0AymtUpgrade naar KadastraleKaart Pro
O5OeMMMAlCyPn0UtqaNxcUpgrade naar KadastraleKaart Pro
7cHVEDSHHx1j5w1Upgrade naar KadastraleKaart Pro
20/08/1997

Percelen
Gebruik de zoekbalk of klik op een perceel om informatie over het perceel te bekijken.