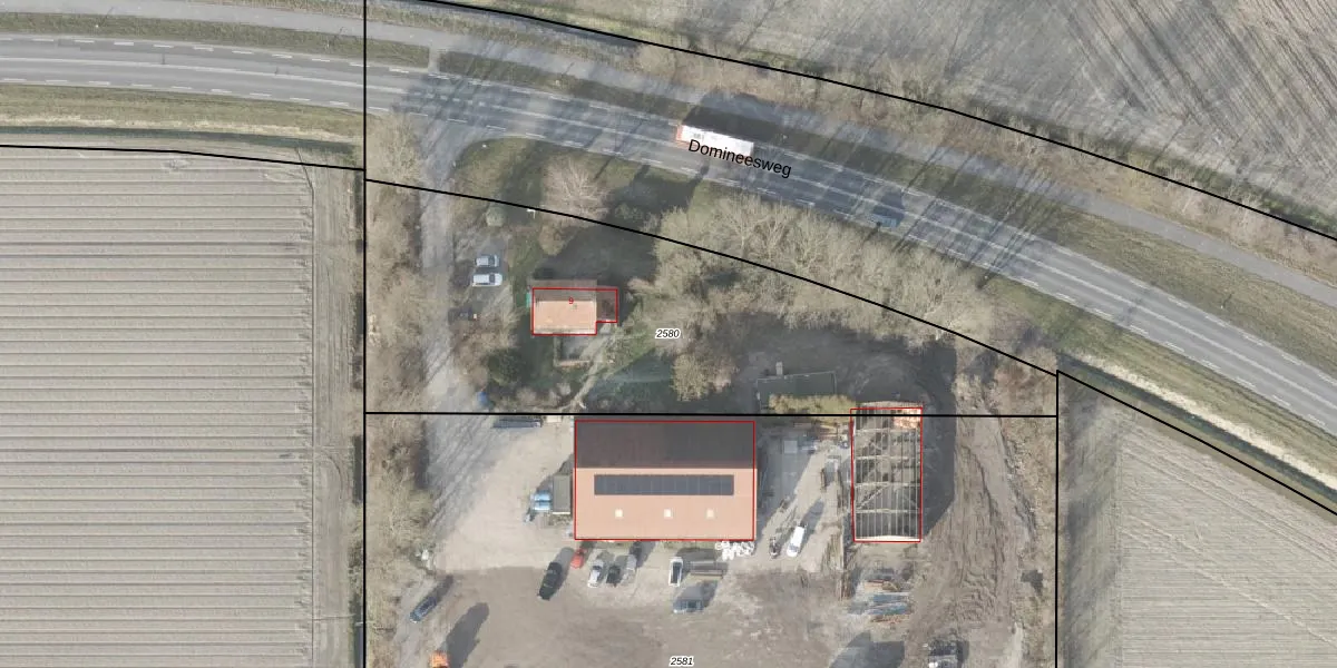
Perceel: NOP00-D-2580
KadastraleKaart.com kan meer dan je denktOntdek meer ›
Filter op bestemming 50+ datasets Eigendomsdata in één klik Percelen CRM
2.400 m2 - 253 m
Eigenaar opvragen
NOP00-D-2580 (Noordoostpolder)
- 8308 PG
TtWsb99jrAm3cEqfpf 9d AlJxJ2MUpgrade naar KadastraleKaart Pro
Verkoopprijs opvragen
Bekijk op Street View
Download DWG/DXF/Excel
9r5f dUN RS9aI9TjriUpgrade naar KadastraleKaart Pro
vevRgGJ8ZMEU3fGa1Upgrade naar KadastraleKaart Pro
7FEO3hLUPpWUpgrade naar KadastraleKaart Pro
EmIy GFTVYUS As7kUpgrade naar KadastraleKaart Pro
Dk7iSVZSvwUbG88iPUpgrade naar KadastraleKaart Pro
dJUGheveN2Upgrade naar KadastraleKaart Pro
zFanKjHfmRGP61A Upgrade naar KadastraleKaart Pro
n7A RC Dw1nHAUpgrade naar KadastraleKaart Pro
9Mf5F WU bJ9hyEQ dUpgrade naar KadastraleKaart Pro
NHOMp bnXt18Im Upgrade naar KadastraleKaart Pro
04/08/2017

Percelen
Gebruik de zoekbalk of klik op een perceel om informatie over het perceel te bekijken.