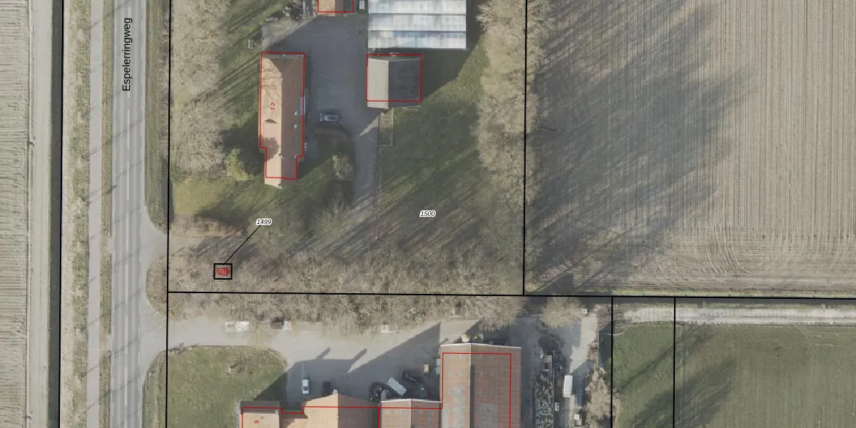
Perceel: NOP00-E-1500
7.666 m2 - 366 m
Eigenaar opvragen
NOP00-E-1500 (Noordoostpolder)
- 8311 PA
MJsLQ8gW KaTjHbq AUpgrade naar KadastraleKaart Pro
Bekijk op Street View
Download DWG/DXF/Excel
f1V4Y k5PjOzUpgrade naar KadastraleKaart Pro
yLx9amo8eTj Gu6 TUpgrade naar KadastraleKaart Pro
yePsJbl193OQUpgrade naar KadastraleKaart Pro
8PcmSsTffhnjgWpNOWaC4Upgrade naar KadastraleKaart Pro
dfWyxL8EJV0F9MDTz0iAUpgrade naar KadastraleKaart Pro
Sd0mkY LNjXtGUpgrade naar KadastraleKaart Pro
1ogyCBWcff2qBmUpgrade naar KadastraleKaart Pro
2FRyupQ8w2Upgrade naar KadastraleKaart Pro
BG TnrmBWToqqO9PD4Upgrade naar KadastraleKaart Pro
zMoS kL2xSbUDUpgrade naar KadastraleKaart Pro
20/08/1997

Percelen
Gebruik de zoekbalk of klik op een perceel om informatie over het perceel te bekijken.