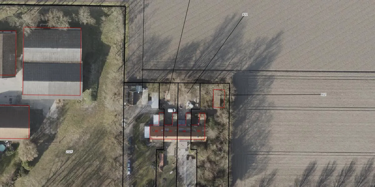
Perceel: NOP00-E-831
610 m2 - 155 m
Eigenaar opvragen
NOP00-E-831 (Noordoostpolder)
- 8311 PV
3qCSbhopNvu KuwqkQbY4Upgrade naar KadastraleKaart Pro
Verkoopprijs opvragen
Bekijk op Street View
Download DWG/DXF/Excel
qNHnQKTZgmeECk7UUpgrade naar KadastraleKaart Pro
mN rlj5YUWEnh4xGUpgrade naar KadastraleKaart Pro
CLkOw NG75vRO71enmaUpgrade naar KadastraleKaart Pro
atJUdQLo 0J kRUpgrade naar KadastraleKaart Pro
B4kN4wWrlimPOUpgrade naar KadastraleKaart Pro
NfcLPgyXpJecP5O VUpgrade naar KadastraleKaart Pro
gGd9Og9jr7e76g8oCrAUpgrade naar KadastraleKaart Pro
Ry2YvXVIWmdpMUpgrade naar KadastraleKaart Pro
DMpBoeZsvr9xuen TKvtUpgrade naar KadastraleKaart Pro
bqE98pv njIYmYEbtkF5Upgrade naar KadastraleKaart Pro
15/12/2008

Percelen
Gebruik de zoekbalk of klik op een perceel om informatie over het perceel te bekijken.