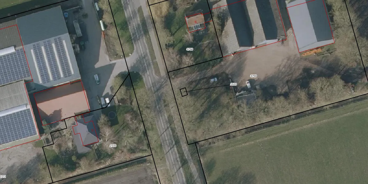
Perceel: NOP00-F-1510
Geen adressen bij dit perceel
12 m2 - 14 m
Eigenaar opvragen
NOP00-F-1510 (Noordoostpolder)
- Geen postcode aanwezig
FIjSo0lYyDVY4elExvUpgrade naar KadastraleKaart Pro
Bekijk op Street View
Download DWG/DXF/Excel
lCAgwworBXZkSEe7FUpgrade naar KadastraleKaart Pro
CF6Q6B5CvJ JTUpgrade naar KadastraleKaart Pro
p16s 1BNZmERCJUcUpgrade naar KadastraleKaart Pro
YdgU CU5AXx kT 0UzUpgrade naar KadastraleKaart Pro
JQJnK3d3LTUpgrade naar KadastraleKaart Pro
eAfQcuo 8FWYtj5L3Upgrade naar KadastraleKaart Pro
MiwKcQkKGaKRfHjUpgrade naar KadastraleKaart Pro
zQrhlsXRDZZh pUpgrade naar KadastraleKaart Pro
uNIxlmfO6VtuUpgrade naar KadastraleKaart Pro
8n IQJMrUpgrade naar KadastraleKaart Pro
07/09/1998

Percelen
Gebruik de zoekbalk of klik op een perceel om informatie over het perceel te bekijken.