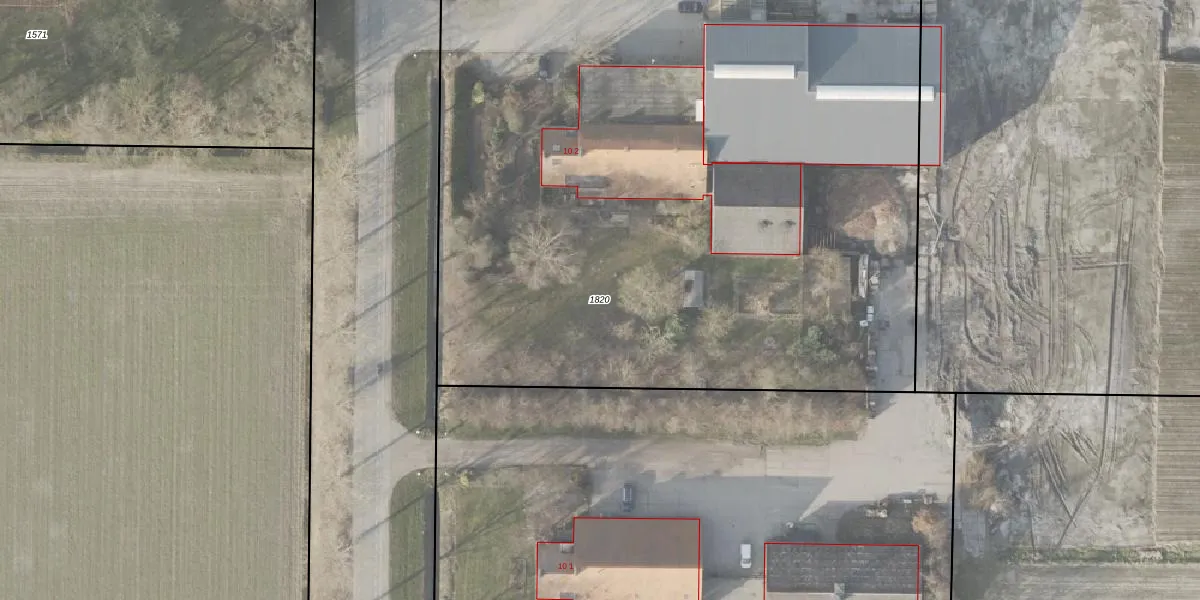
Perceel: NOP00-F-1820
5.400 m2 - 295 m
Eigenaar opvragen
NOP00-F-1820 (Noordoostpolder)
- 8312 PE
MXma14 hrXTd t32J hcH8w2Upgrade naar KadastraleKaart Pro
Bekijk op Street View
Download DWG/DXF/Excel
O1a Ruh e74pwOTvV zzS3Upgrade naar KadastraleKaart Pro
mpY mE6eCGCpWUpgrade naar KadastraleKaart Pro
temw3CKWUpgrade naar KadastraleKaart Pro
N6HJQEeu8L6vO0x7XUpgrade naar KadastraleKaart Pro
msS qInn ygTl0Upgrade naar KadastraleKaart Pro
r42dSeocMXUaJIZjLeJhBUpgrade naar KadastraleKaart Pro
nCCO6XTzYhy6bmzLcUpgrade naar KadastraleKaart Pro
k3E jbaofzuZwg1Upgrade naar KadastraleKaart Pro
j6Ji2pcU54PZUpgrade naar KadastraleKaart Pro
cG6cKaIzGUpgrade naar KadastraleKaart Pro
13/05/2005

Percelen
Gebruik de zoekbalk of klik op een perceel om informatie over het perceel te bekijken.