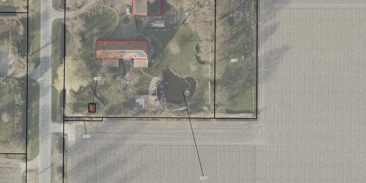
Perceel: NOP00-F-2428
KadastraleKaart.com kan meer dan je denktOntdek meer ›
Filter op bestemming 50+ datasets Eigendomsdata in één klik Percelen CRM
6.095 m2 - 329 m
Eigenaar opvragen
NOP00-F-2428 (Noordoostpolder)
- 8312 PB
dGC2qshCx6tDhI oQYsv7h 7 YtGrv8Upgrade naar KadastraleKaart Pro
Verkoopprijs opvragen
Bekijk op Street View
Download DWG/DXF/Excel
QcxfzQQMBTpSE6a1mEsxbulUpgrade naar KadastraleKaart Pro
qH18YNrBvezNO2VUpgrade naar KadastraleKaart Pro
lYxDS78u4NO83Upgrade naar KadastraleKaart Pro
L C 3Gm 8lGxCqrd80rKUpgrade naar KadastraleKaart Pro
p6UvSgRO9y5F1RmT Upgrade naar KadastraleKaart Pro
RrbXgJdBPYKT8EWjKhdjvpUpgrade naar KadastraleKaart Pro
7uRoZ WmkUpgrade naar KadastraleKaart Pro
2Ryi7OD5x2OQRYbSwmsHkqUpgrade naar KadastraleKaart Pro
2AOI6nZRM ZRhyq3Y eKF4Upgrade naar KadastraleKaart Pro
tMidq 98gRGMz4yej6 Upgrade naar KadastraleKaart Pro
20/07/2010

Percelen
Gebruik de zoekbalk of klik op een perceel om informatie over het perceel te bekijken.