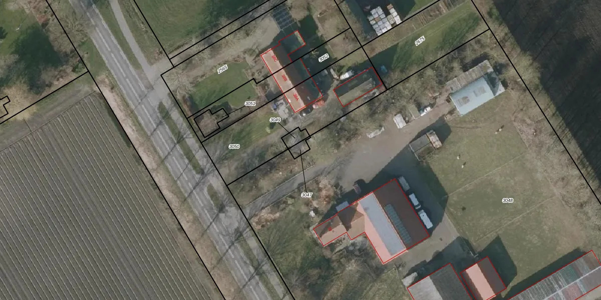
Perceel: NOP00-F-3047
KadastraleKaart.com kan meer dan je denktOntdek meer ›
Filter op bestemming 50+ datasets Eigendomsdata in één klik Percelen CRM
Geen adressen bij dit perceel
25 m2 - 24 m
Eigenaar opvragen
NOP00-F-3047 (Noordoostpolder)
- Geen postcode aanwezig
Opsgx dlWbHFJdcvyITPT bA5HRUofUpgrade naar KadastraleKaart Pro
Bekijk op Street View
Download DWG/DXF/Excel
SWk3Nx0yGw9VusO0dUpgrade naar KadastraleKaart Pro
VXyw dlTZUpgrade naar KadastraleKaart Pro
Yl QvKPIVX6M TKANbgUpgrade naar KadastraleKaart Pro
qEGHF KF zRqb0SISathgSWUpgrade naar KadastraleKaart Pro
q9dIQN9kNgnu8Ro6ehUpgrade naar KadastraleKaart Pro
YKFo12VkXSFWvd73b y LLjUpgrade naar KadastraleKaart Pro
c3kk nWo9R0ADaWUpgrade naar KadastraleKaart Pro
x7EKz 2tEzCm XUpgrade naar KadastraleKaart Pro
D trJNvbgq2jw6Sh4LUpgrade naar KadastraleKaart Pro
3RFLVW3JN6H5JbFnR4NoUpgrade naar KadastraleKaart Pro
09/02/2012

Percelen
Gebruik de zoekbalk of klik op een perceel om informatie over het perceel te bekijken.