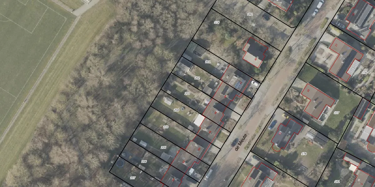
Perceel: NOP00-FW-203
464 m2 - 109 m
Eigenaar opvragen
NOP00-FW-203 (Noordoostpolder)
- 8312 BJ
JwjdkCW2K 0 QgPC8WkRxIPkENQm2BUpgrade naar KadastraleKaart Pro
Bekijk op Street View
Download DWG/DXF/Excel
X 0SY 7YBanFUpgrade naar KadastraleKaart Pro
tg1 f E75UWR9lxlwoghUpgrade naar KadastraleKaart Pro
6 9PMchUfcF8mkRphLUpgrade naar KadastraleKaart Pro
lWaNwGrdQgXzIPUpgrade naar KadastraleKaart Pro
m oVzB7 kr0TwdZ Upgrade naar KadastraleKaart Pro
t XJZzucFUpgrade naar KadastraleKaart Pro
nOD 31iY Z pP KSVHhUpgrade naar KadastraleKaart Pro
5tkpmQNVwbUpgrade naar KadastraleKaart Pro
c j3L7lUa40PUpgrade naar KadastraleKaart Pro
h6WcxPQl40aFUUpgrade naar KadastraleKaart Pro
02/07/2007

Percelen
Gebruik de zoekbalk of klik op een perceel om informatie over het perceel te bekijken.