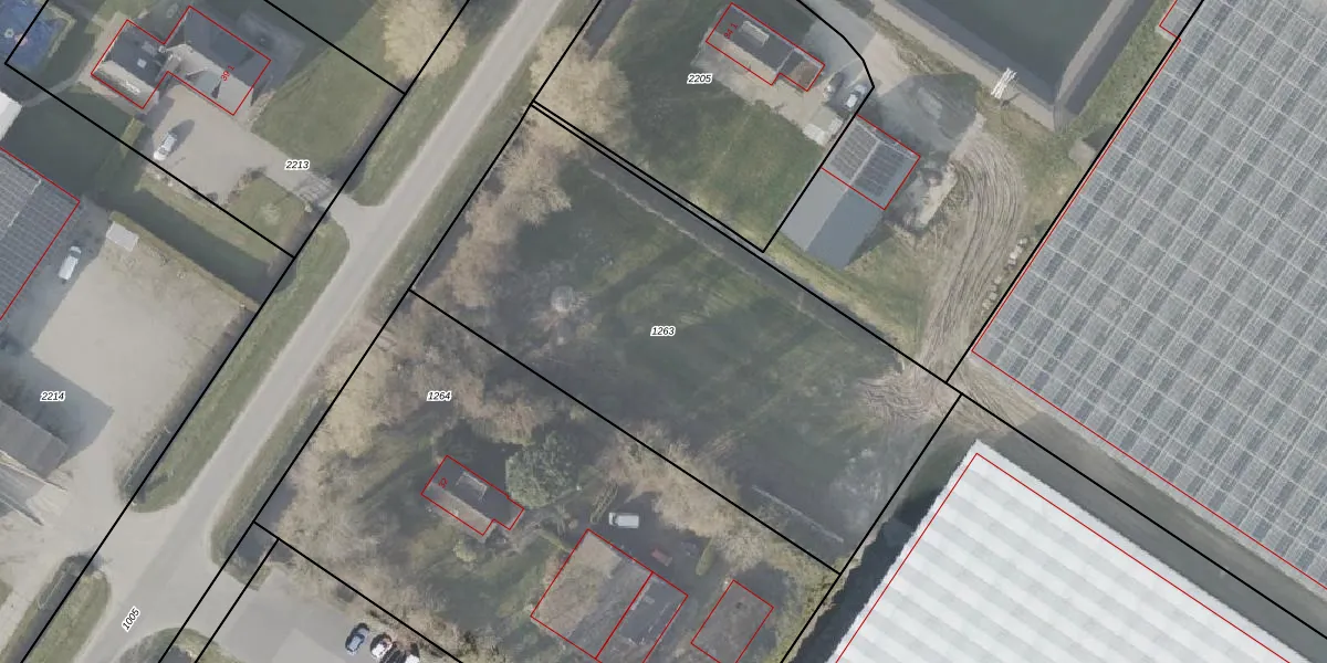
Perceel: NOP00-G-1263
Geen adressen bij dit perceel
2.548 m2 - 223 m
Eigenaar opvragen
NOP00-G-1263 (Noordoostpolder)
- Geen postcode aanwezig
0xk17EF7VXpzBMUovS uE0Upgrade naar KadastraleKaart Pro
Bekijk op Street View
Download DWG/DXF/Excel
NGfjBcHbGMrc9RBOawGOUpgrade naar KadastraleKaart Pro
tZ6 h ts3 5rUpgrade naar KadastraleKaart Pro
SWB7e 59Z5vulq95eOXT3yRUpgrade naar KadastraleKaart Pro
7BC5NmHqzY4CP94 8aYUpgrade naar KadastraleKaart Pro
i0Ng jp6tNqPdjkI3OUpgrade naar KadastraleKaart Pro
fNKb2EourEtuGNUpgrade naar KadastraleKaart Pro
zsdzDeQwHaUpgrade naar KadastraleKaart Pro
sXtbjrhTGVsYl4U0krz ZUpgrade naar KadastraleKaart Pro
g2xRKGPWom xzcUpgrade naar KadastraleKaart Pro
FK6KyR4HEGbGzQaBpUpgrade naar KadastraleKaart Pro
19/08/2008

Percelen
Gebruik de zoekbalk of klik op een perceel om informatie over het perceel te bekijken.