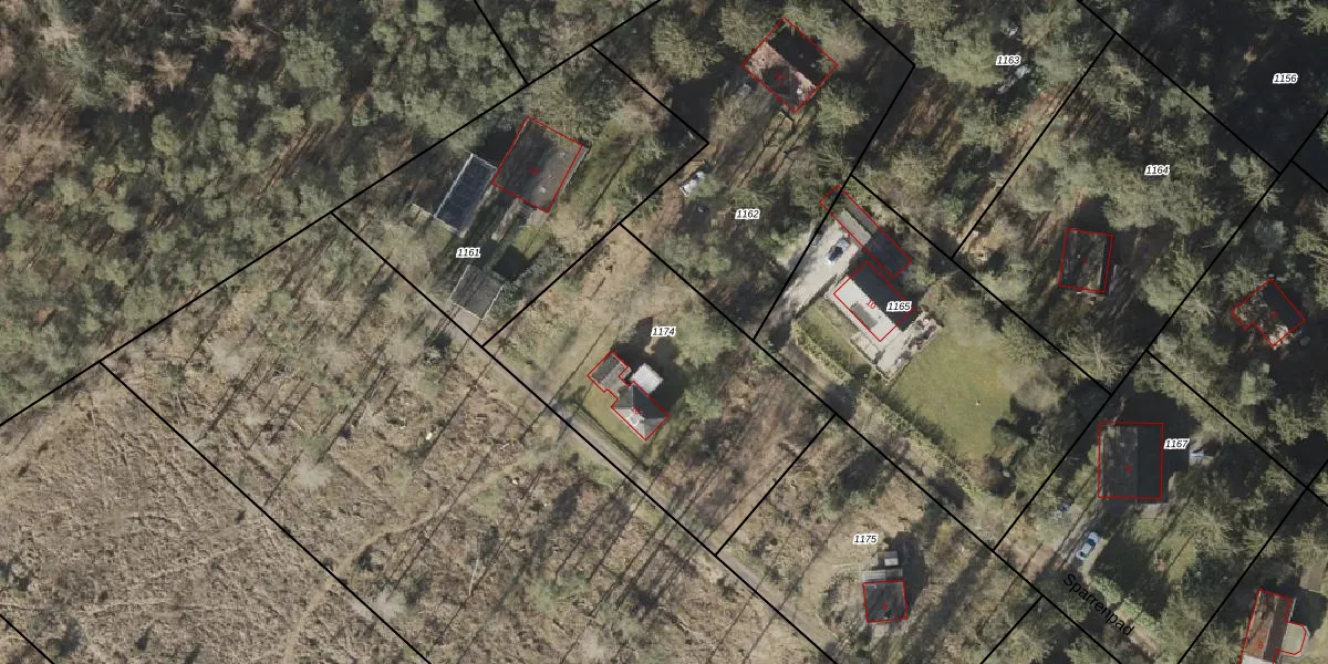
Perceel: NOR00-D-1174
KadastraleKaart.com kan meer dan je denktOntdek meer ›
Filter op bestemming 50+ datasets Eigendomsdata in één klik Percelen CRM
1.390 m2 - 147 m
Eigenaar opvragen
NOR00-D-1174 (Norg)
- 9331 XB
8DDgWwnNI WhNAPPFKJq0GbnUbMUpgrade naar KadastraleKaart Pro
Verkoopprijs opvragen
Bekijk op Street View
Download DWG/DXF/Excel
Flx2hyxB4lyUtjUpgrade naar KadastraleKaart Pro
m8rBWiziihoXUpgrade naar KadastraleKaart Pro
WcdVBWoB5VsIWPCGaUpgrade naar KadastraleKaart Pro
8i vgJi1b4Upgrade naar KadastraleKaart Pro
sdRMhrRSXUpgrade naar KadastraleKaart Pro
Jcwb8d6D1MkQ2QUXBQHUpgrade naar KadastraleKaart Pro
JVCJLGjR bHtBr1l5AUpgrade naar KadastraleKaart Pro
Nl9h6XCQvsQ28EHwKIM d Upgrade naar KadastraleKaart Pro
S C4YoqOFfV o7X vjBjUpgrade naar KadastraleKaart Pro
o8zNB1 dUpgrade naar KadastraleKaart Pro
26/05/2005

Percelen
Gebruik de zoekbalk of klik op een perceel om informatie over het perceel te bekijken.