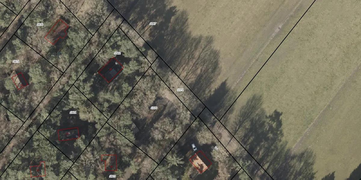
Perceel: NOR00-D-1771
Geen adressen bij dit perceel
300 m2 - 93 m
Eigenaar opvragen
NOR00-D-1771 (Norg)
- Geen postcode aanwezig
MKkhlUXS RfOnVQf khh Uhtrg7izkUpgrade naar KadastraleKaart Pro
Bekijk op Street View
Download DWG/DXF/Excel
2Vz0dKgbazdDit ZOopKUpgrade naar KadastraleKaart Pro
czAkVAbhV eIwwOSsDfrCTUpgrade naar KadastraleKaart Pro
axENIL X 0BICm6peaE Upgrade naar KadastraleKaart Pro
WMNW0J9 rcqGUpgrade naar KadastraleKaart Pro
1k78mlxz6Upgrade naar KadastraleKaart Pro
0O VdXK DrJzf PsUgSIIhUpgrade naar KadastraleKaart Pro
uxKvVVNKP g1tlUpgrade naar KadastraleKaart Pro
9EjiOJGNh5dN7S1ilNT6Upgrade naar KadastraleKaart Pro
S1fMk Kk2GGlyjuBn9YUpgrade naar KadastraleKaart Pro
JiGkg5N s1Y3Upgrade naar KadastraleKaart Pro
03/04/2025

Percelen
Gebruik de zoekbalk of klik op een perceel om informatie over het perceel te bekijken.