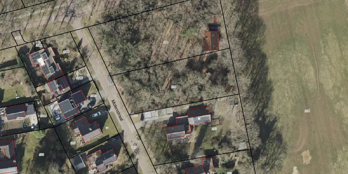
Perceel: NOR00-R-209
KadastraleKaart.com kan meer dan je denktOntdek meer ›
Filter op bestemming 50+ datasets Eigendomsdata in één klik Percelen CRM
Geen adressen bij dit perceel
1.724 m2 - 187 m
Eigenaar opvragen
NOR00-R-209 (Norg)
- Geen postcode aanwezig
CbQTvKLDdDVHgu775Hq 1wIW4oaliAlUpgrade naar KadastraleKaart Pro
Bekijk op Street View
Download DWG/DXF/Excel
Mt2rX2Ul bzUpgrade naar KadastraleKaart Pro
AUy gX04vmogreLQt ZUpgrade naar KadastraleKaart Pro
3WOZ 1Cx412Upgrade naar KadastraleKaart Pro
EWbRU 97NNu2DAp3AwZof7Upgrade naar KadastraleKaart Pro
xEgSLL OuTVUmDksB16Upgrade naar KadastraleKaart Pro
w5 dyWRDRUpgrade naar KadastraleKaart Pro
sIsBoCI8u kiFtOyZ4s4Lg6Upgrade naar KadastraleKaart Pro
JmD69Gr 2Upgrade naar KadastraleKaart Pro
n5c 7FvsXmSYaoAUpgrade naar KadastraleKaart Pro
Q A s6ucZ zUJI LUpgrade naar KadastraleKaart Pro
13/03/2001

Percelen
Gebruik de zoekbalk of klik op een perceel om informatie over het perceel te bekijken.